8 May 2024
A meeting of the Cumberland Local Planning Panel will be held at 11.30am via Zoom on Wednesday, 8 May 2024.
Business as below:
Yours faithfully
Peter J. Fitzgerald
General Manager
ORDER OF BUSINESS
1. Receipt of Apologies
2. Declarations of Interest
3. Address by invited speakers
4. Reports:
- Development Applications
5. Closed Session Reports
8 May 2024
CONTENTS
Report No. Name of Report Page No.
Development Applications
ELPP013/24 Development Application - 55 Coleman Street, Merrylands......................... 3
ELPP014/24 Development Application - 29-31 Osgood Street, Guildford....................... 63
ELPP015/24 Development Application - 39 - 41 Aurelia Street, Toongabbie............... 267
ELPP016/24 Development Application - 10A Octavia Street, Toongabbie................... 599
8 May 2024
Item No: ELPP013/24
Development Application - 55 Coleman Street, Merrylands
Directorate: Environment and Planning
Responsible Officer: Executive Manager City Planning and Development
|
Application accepted |
22 November 2023. |
|
Applicant |
Dvyne Design JT Pty Ltd. |
|
Owner |
Mr F Sarkis. |
|
Application No. |
DA2023/0692. |
|
Description of Land |
55 Coleman Street Merrylands being Part Lot 24 in DP 657038. |
|
Proposed Development |
Use of part of the existing lot for the provision of 2 x take away food and drink premises including a new WC and bin room. |
|
Site Area |
867.2 square metres. |
|
Zoning |
E1 - Local Centre. |
|
Disclosure of political donations and gifts |
Nil disclosure. |
|
Cost of works |
$15,000. |
|
Heritage |
No. |
|
Principal Development Standards |
FSR. Permissible: 1:1. Proposed: 0.47:1.
Height. Permissible: 10m Proposed: 2.23m |
|
Issues |
Councillor Application. |
Summary:
1. Development Application 2023/0692 was accepted on the 22 November 2023 for the use of part of the existing lot for the provision of 2 x take away food and drink premises including a new WC and bin room.
2. The application was publicly notified to occupants and owners of the adjoining properties for a period of 14 days between 28 November 2023 and 12 December 2023. In response, 1 submission was received.
3. The variations are as follows:
|
Control |
Required |
Provided |
% variation |
|
Cumberland DCP 2021 Part G1 Advertising and Signage Business Zones C2 |
Total signage per street frontage must not exceed one (1) top-hamper sign, one (1) under-awning sign and one (1) wall sign |
2 wall signs proposed. |
50%. |
|
Cumberland DCP 2021 Part G3 Traffic, Parking, Transport and Access (vehicle) Parking Rates |
Food and drink premises outside the town centre: 1 space / 7 sq m. |
No new car parking spaces proposed. |
100%. |
4. The application is referred to the Cumberland Local Planning Panel as the proposal involves a conflict of interest with the property owner and applicant.
5. The application is recommended for approval subject to the conditions as recommended in the Council’s assessment report.
Report:
Subject Site and Surrounding Area
The site forms Lot 24 DP 657038 and is known as 55 Coleman Street Merrylands. The site has an area of 867.2 sq m and has a frontage of 24.43 metres to Coleman Street and a secondary street frontage of 37.49 metres to Friend Street. The site is generally rectangular and flat. The site is currently occupied by a single storey neighbourhood shop (comprising of 4 separate shops) with parking and a loading bay to the rear.
The subject site is zoned E1- Local Centre. Surrounding the whole site is R2 Low Density Residential Zoned land. The site is surrounded by single and two storey dwellings and dual occupancies.
The location of the site is shown below edged in purple.
Figure 1 - Locality Plan of subject site

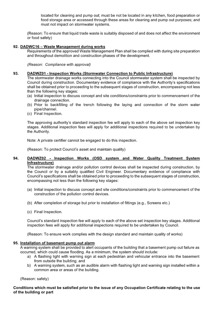
Figure 2 - Aerial view of subject site outlined in blue.

Figure 3 - Street view of subject site
Photos taken during a recent site inspection to the premises.

Description of The Development
Council has received a development application for use of part of the existing lot for the provision of 2 x take away food and drink premises including a new WC and bin room.
A detailed breakdown is shown below.
Construction:
All structures are located north of the exiting single storey commercial building.
- 4.3 sq m cold sandwich bar, with 2 x dine in seats.
- 4.3 sq m coffee bar, with 2 x dine in seats.
- 1.8 sq m wash closet with 1 toilet and hand basin.
- 1.3 sq m bin storage room.
- 2 x 400mm x 1140mm wall signs.
Use:
- 2 x take away food and drink premises.
- Hours of operation: 7am to 9pm Monday to Sunday and no operations on Sunday or a Public Holiday
History
- DA2006/118 approved by Council on the 15 September 2005 for the fitout and use of shop 1 as a butcher and erection of associated signage.
Applicants Supporting Statement
The applicant has provided a Statement of Environmental Effects (SEE) prepared by Dvyne Design dated September 2023 was received by Council on the 16 November 2023. An amended SEE prepared by Dvyne Design dated March 2024 was received by Council on the 8 March 2024 in support of the application.
Contact With Relevant Parties
The assessing officer has undertaken a site inspection of the subject site and surrounding properties and has been in regular contact with the applicant throughout the assessment process.
Internal Referrals
Development Engineer
The development application was referred to Council’s Development Engineer for comment who has advised that the development proposal is satisfactory and can be supported subject to recommended conditions of consent.
Environment and Health
The development application was referred to Council’s Environmental Health Officer for comment who has advised that the development proposal is satisfactory and can be supported subject to recommended conditions of consent.
Tree Management Officer
The development application was referred to Council’s Tree Management Officer for comment who has advised that the development proposal is satisfactory and can be supported subject to recommended conditions of consent.
Waste Management
The development application was referred to Council’s Waste Management Officer for comment who has advised that the development proposal is satisfactory.
Planning Comments
The provisions of any Environmental Planning Instruments (EP&A Act s4.15 (1)(a)(i))
State Environmental Planning Policies
The proposed development is affected by the following State Environmental Planning Policies:
|
State Environmental Planning Policies (SEPPs) |
Relevant Clause(s) |
Compliance with Requirements |
|
· State Environmental Planning Policy (Biodiversity and Conservation) 2021.
|
Chapter 2 -Vegetation in non Rural Areas. |
No trees are proposed to be removed. The existing large street tree located off Friend Street is to be retained.
The proposal does not exceed the biodiversity offsets scheme threshold and no assessment is required. |
|
Chapter 6 - Water Catchments.
Sydney Harbour Catchment |
It is determined that given its location, a detailed assessment is not required given that there is no direct impact upon the catchment and no direct impact upon watercourses. As such, the development is acceptable under the new provisions that came into effect on Monday 21 November 2022. |
|
|
· State Environmental Planning Policy (Resilience and Hazards) 2021.
|
Chapter 2 - Coastal Management. |
The subject site is not identified as a coastal wetland or ‘land identified as “proximity area for coastal wetlands” or coastal management area. |
|
Chapter 4 - Remediation of Land.
Part 4.6. |
Part 4.6 - Contamination and remediation to be considered in determining development application.
Comments The current proposal is not increasing the sensitivity of the existing land use. Council’s records do not indicate the existing site has any potential contamination issues.
1. As such, it is considered that the development application is satisfactory under Part 4.6 of Chapter 4 of the State Policy. |
|
|
· State Environmental Planning Policy (Industry and Employment) 2021. |
Chapter 3 Advertising and Signage. |
Two wall signs have been proposed as part of the development application.
Refer to attachment 4 for a detailed signage assessment criteria. |
|
· State Environmental Planning Policy (Sustainable Buildings) 2022 i) |
Chapter 3 - Standards for non-residential development |
Chapter 3 of SEPP (Sustainable Buildings) 2022 does not apply to this development as the alterations, enlargement or extension of the existing building does not have a capital investment value of $10 million or more. |
Local Environmental Plans
Cumberland Local Environmental Plan 2021
The provision of the Cumberland Local Environmental Plan 2021 is applicable to the development proposal. It is noted that the development achieves compliance with the key statutory requirements of the Cumberland Local Environmental Plan 2021 and the objectives of the E1 – Local Centre zone.
(a) Permissibility:
The proposed development is defined as a take away food and drink premises and is permissible in the E1 - Local Centre zone with consent.
Take away food and drink premises is defined as “Premises that are predominantly used for the preparation and retail sale of food or drink (or both) for immediate consumption away from the premises”.
The relevant matters to be considered under the Cumberland Local Environmental Plan 2021 and the applicable clauses for the proposed development are summarised below. A comprehensive CLEP 2021 assessment is contained in Attachment 5.
Figure 4 – Cumberland LEP 2021 Compliance Table
|
DEVELOPMENT STANDARD |
COMPLIANCE |
DISCUSSION |
|
4.3 Height of Buildings Max. 10m |
Yes 2.23m |
The floor to ceiling height is currently sitting at 2.1m.
The height of the proposal may be subject to change as a condition is imposed on the consent for National Construction Code Compliance. |
|
4.4 Floor Space Ratio Max. 1:1 |
Yes 0.47:1 |
Yes |
The provisions of any proposed instrument that is or has been the subject (EP&A Act s4.15 (1)(a)(ii))
No proposed planning instruments applicable.
The provisions of any Development Control Plans (EP&A Act s4.15 (1)(a)(iii))
The Cumberland Development Control Plan 2021 is relevant to the development proposal.
The development has been assessed using the following chapters:
· Part C - Development in Business Zones
· Part G1 - Advertising and Signage
· Part G3 - Traffic, Parking, Transport and Access (vehicle)
The development is found to comply with the relevant provisions except for the following:
Figure 5 – Cumberland DCP 2021 - Compliance Table.
|
Clause |
Control |
Proposed |
Complies |
|
Cumberland DCP 2021 Part G1 Advertising and Signage Business Zones C2 |
Total signage per street frontage must not exceed one (1) top-hamper sign, one (1) under-awning sign and one (1) wall sign |
2 wall signs proposed |
No |
|
Cumberland DCP 2021 Part G3 Traffic, Parking, Transport and Access (vehicle) Parking Rates |
Food and drink premises outside the town centre: 1 space / 7sq m. |
No new car parking spaces proposed |
No
|
As indicated in the compliance table above, the proposed development departs from two controls of the CDCP.
Irrespective of these departures, it is considered that the proposal performs adequately from an environmental planning viewpoint and may be supported for the reasons discussed below:
Number of Signs
The proposed wall signs are relatively small. There is one wall sign proposed for each separate business facing Friend Street. Conditions will be imposed limiting the signage to business identification signage only. No illumination has been proposed. Assessed on merit, the one additional signage is considered acceptable as no additional impacts arise.
Parking
The existing premises is provided with 10 parking spaces located at the front of the site and 10 parking spaces located at the rear of the site totalling 20 spaces. There are currently 4 shops on site located on the site which comprises of 3 grocery shops and 1 take away food and drink premises. These existing uses trigger a parking demand of 13 spaces. Therefore, there is adequate parking onsite to cater for the proposed additional use and small GFA increase. Assessed on merit, the variation can be considered acceptable.
The provisions of any planning agreement that has been entered into under section 7.4, or any draft planning agreement that a developer has offered to enter into under section 7.4 (EP&A Act s4.15(1)(a)(iiia))
There is no draft planning agreement associated with the subject Development Application.
The provisions of the Regulations (EP&A Act s4.15 (1)(a)(iv))
The proposed development raises no concerns as to the relevant matters arising from the Environmental Planning and Assessment Regulation 2021 (EP&A Reg).
The Likely Environmental, Social or Economic Impacts (EP&A Act s4.15 (1)(b))
It is considered that the proposed development will have no significant adverse environmental, social or economic impacts in the locality.
The suitability of the site for the development (EP&A Act s4.15 (1)(c))
The subject site and locality is not known to be affected by any natural hazards or other site constraints likely to have a significant adverse impact on the proposed development. Accordingly, it is considered that the development is suitable in the context of the site and surrounding locality.
Submissions made in accordance with the Act or Regulation (EP&A Act s4.15 (1)(d))
|
Advertised (Website) |
|
Sign |
Not Required |
In accordance with Council’s Notification requirements contained within the Cumberland Development Control Plan 2021, the proposal was publicly notified for a period of 14 days between 28 November 2023 and 12 December 2023. The notification generated 1 submission in respect of the proposal with no disclosing a political donation or gift. The issues raised in the public submissions are summarised and commented on as follows:
Figure 6 – Submissions summary table.
|
Issue |
Planner’s Comment |
|
Road safety and traffic congestion. |
Parking and traffic has been assessed by Council’s Development Engineer and deemed acceptable, subject to conditions. |
|
Character of are and congestion. |
The development in proposed within the E1 – Local Centre zone and is consistent with the zone objectives and character if the existing neighbourhood shops. |
|
Waste, smells and noise. |
Council’s Environmental Health Officer have assessed the application and raised no objections. Conditions will be imposed on the consent for the use to operate in accordance with all relevant standards.
Amended plans have detailed the provision of a waste storage room, which screens waste from the public view.
Amended documents also restrict the hours of operation to complaint with Council’s DCP, that being 7am to 9pm Monday to Saturday and no operations on Sunday or a Public Holiday.
Conditions are also imposed on the consent regarding neighbouring complaints for acoustic impacts. If Council receives complaints from neighbouring properties for excessive acoustic impacts, then Council will request an acoustic report. |
The public interest (EP&A Act s4.15(1)(e))
In view of the foregoing analysis, it is considered that the development, if carried out subject to the conditions set out in the recommendation below, will have no significant adverse impacts on the public interest.
CUMBERLAND LOCAL INFRASTRUCTURE CONTRIBUTIONS PLAN 2020
The development would not require the payment of contributions in accordance with Cumberland Local Infrastructure Contributions Plan 2020.
HOUSING AND PRODUCTIVITY CONTRIBUTION (HPC)
In accordance with s7.24, s7.26 and s7.28 of the Environmental Planning and Assessment Act, 1979 the proposed development is subject to the (Housing and Productivity Contribution) Act 2023, the development is subject to the Housing and Productivity Contribution.
A condition of consent has been imposed on the development consent in accordance with s7.28 of the EP&A Act 1979 requiring the payment of the HPC.
DISCLOSURE OF POLITICAL DONATIONS AND GIFTS
The applicant and notification process did not result in any disclosure of Political Donations and Gifts.
Conclusion:
The development application has been assessed in accordance with the relevant requirements of the Environmental Planning and Assessment Act 1979, Cumberland Local Environmental Plan 2021 and Cumberland Development Controls Plan 2021 and is considered to be satisfactory for approval.
Having regard to the relevant matters of consideration under Section 4.15 of the Environmental Planning and Assessment Act 1979, it is considered that the proposed development is acceptable for the reasons outlined in this report. It is recommended that the development application be approved.
Consultation:
There are no consultation processes for Council associated with this report.
Financial Implications:
There are no financial implications for Council associated with this report.
Policy Implications:
There are no policy implications for Council associated with this report.
Communication / Publications:
The final outcome of this matter will be notified. The objectors will also be notified in writing of the outcome.
1. That Development Application 2023/0692 for use of part of the existing lot for the provision of 2 x take away food and drink premises including a new WC and bin room on land at 55 Coleman Street, Merrylands be approved subject to conditions as listed in the attached schedule.
2. Persons whom have lodged a submission in respect to the application be notified of the determination of the application.
Attachments
1. Draft Notice of Determination
2. Architectural Plans & Plan of Management
4. State Environmental Planning Policy (Industry and Employment) 2021 Analysis Chapter 3 Advertising and Signage
DOCUMENTS
ASSOCIATED WITH
REPORT LPP013/24
Attachment 1
Draft Notice of Determination
DOCUMENTS
ASSOCIATED WITH
REPORT LPP013/24
Attachment 4
State Environmental Planning Policy (Industry and Employment) 2021 Analysis Chapter 3 Advertising and Signage
8 May 2024
Item No: ELPP014/24
Development Application - 29-31 Osgood Street, Guildford
Directorate: Environment and Planning
Responsible Officer: Executive Manager City Planning and Development
|
Application accepted |
18 August 2023. |
|
Applicant |
Mr W Tang. |
|
Owner |
Mr N Issa, Mr S Issa and Mrs R Issa. |
|
Application No. |
DA2023/0473. |
|
Description of Land |
29 and 31 Osgood Street Guildford being Lot 46 and 47 in DP 35715. |
|
Proposed Development |
Demolition of existing structures, consolidation of two lots into 1, construction of a two storey centre-based child care facility with 74 children, basement car parking and associated signage |
|
Site Area |
1,381.9 square metres. |
|
Zoning |
R2 Low Density Residential Zone. |
|
Disclosure of political donations and gifts |
Nil disclosure. |
|
Cost of works |
$2,311,340.90. |
|
Heritage |
N/A – Site is not Heritage Listed or located within Heritage Conservation Area. |
|
Principal Development Standards |
FSR (as per State Environmental Planning Policy (Transport and Infrastructure) 2021) Permissible: 0.5:1. Proposed: 0.37:1.
Height of Building Permissible: 8.75m. Proposed: 9m. |
|
Issues |
Unencumbered outdoor play space. Front setback. Basement footprint. Submissions. |
Summary:
1. Development Application No. DA2023/0473 was accepted on the 18 August 2023 for the demolition of existing structures, consolidation of two lots into 1, construction of a two storey centre-based child care facility with 82 children over basement car parking and associated signage. (The child placement is recommended to be reduced to 74 as discussed later in the report)
2. The application was publicly notified to occupants and owners of the adjoining properties for a period of 14 days between 5 October 2023 and 19 October 2023. In response, a total 32 submissions were received with 27 unique submissions, including 1 petition containing 58 signatures.
3. The variations are as follows:
|
Control |
Required |
Provided |
% variation |
|
Child Care Planning Guideline Part 4 – 4.9 Outdoor space requirements
Regulation 108 - Unencumbered outdoor space. |
574sqm (82 children x 7 sqm).
|
518sqm (enough for 74 children).
|
9.8% (56sqm shortfall – total number of children shall be limited to a maximum of 74 children). |
|
CDCP 2021 Part E1 – 2.2 Bulk and scale.
Clause C2. Front setback |
6.77m. |
5.3m. |
1.47 metres or 22%. |
|
CDCP 2021 Part G3 - 4.3 Basement parking.
Clause C2. Basement footprint. |
Basement shall be contained within the footprint of the building. |
Basement extends 11.6m beyond the footprint of the building’s ground floor. |
100% |
4. The application is referred to the Panel as the proposal is considered to be contentious development.
5. The application is recommended for approval subject to conditions as recommended in the Council’s assessment report.
Report:
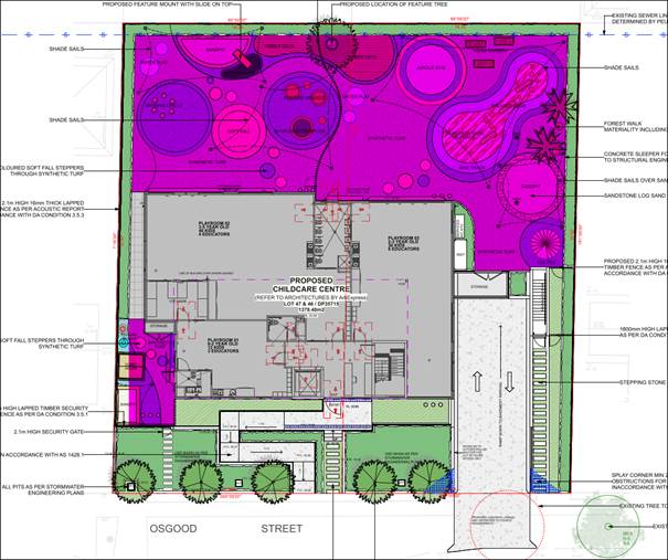
Subject Site and Surrounding Area
The site forms Lot 46 and 47 in DP 35715 and is known as 29 and 31 Osgood Street Guildford. The site has an area of 1381.9 square metres and has a combined frontage to Osgood Street of 36.73m. The site has a fall of approximately 1.34m from rear to front.
A site inspection of the premises carried out on the 14 October 2023 confirmed that the two lots are currently occupied by single detached dwellings and detached garages. The existing developments adjoining the site are single dwellings. The surrounding locality comprises of primarily single and two storey dwellings. Some commercial sites are located to the west, including retail stores, food and drink premises. Granville South Public School is located to the west, on the western side of Woodville Road. Woodville Road is located to the west of the site.
The location of the site is shown below edged in blue.
Figure 1 – Aerial view of the locality and the subject site is highlighted in blue (dated 19/01/2024, source: Nearmap).

Figure 2 – Aerial photo of the subject site.

Figure 3 – Site inspection photo of the site’s street frontage (dated 31/10/2023).

Description of The Development
Council has received a development application for the demolition of existing structures, consolidation of two lots into one, construction of a two storey centre-based child care facility with 74 children, basement car parking and associated signage. The works are described as follows:
Demolition work:
· The dwelling and detached structures across both lots.
· Removal of the driveway and vehicular crossings across both lots.
· Removal of the swimming pool at 31 Osgood St.
Consolidation of lots:
· 29 Osgood St and 31 Osgood St shall be consolidated to create a single lot, with a combined area of 1,381.9 square metres and dimensions of 36.73 (width) x 37.67m (depth).
Excavation work:
The site will be excavated to facilitate the basement car park to be constructed for 21 motor vehicles to support the development. The basement will also include room for parking bikes, a bin store area, plant room and lift.
Construction:
A two storey child care centre will be constructed across the site which features the following:
· Basement
- 21 car parking space, bin storage room, plant room and lift.
· Ground floor:
- Internal: Reception, playrooms x 3, nappy change and bathroom, bottle prep area, cot room, children’s bathroom and wash facilities, storage spaces, lift;
- External: Ramp to entry, storage areas, timber deck in the rear yard, soft play areas, water play areas, bike trail, sandpit;
· First floor: Meeting room, manager’s office, staff room, admin room, kitchen, accessible bathroom, laundry, lift;
· Shade sails located in the rear yard of the site;
· A single business identification signage on the street-facing elevation (south);
· Vehicular crossing and driveway.
Operational details:
· Hours of operation: 7:00am to 6:00pm Monday to Friday.
· Staff: 13.
· The applicant seeks a centre with capacity to support 82 children as follows:
- 0-2 year old children x 12.
- 2-3 year old children x 30.
- 3-5 year old children x 40.
The development will be conditioned to have a maximum of 74 children, to ensure that there is adequate unencumbered outdoor play area. This will have the following impacts:
· Parking demand: Will be reduced from 21 to 19 (no changes is however proposed to the actual number of parking spaces).
History
A pre lodgement application was finalised by Council officers on Friday 3 March 2023.
Applicants Supporting Statement
The applicant has provided a Statement of Environmental Effects – revision B (project 131-2023), prepared by ‘Pivotal Planning’, dated August 2023 which was received by Council on the 7 August 2023 in support of the application.
Contact With Relevant Parties
The assessing officer has undertaken a site inspection of the subject site and has been in regular contact with the applicant throughout the assessment process.
Internal Referrals
Development Engineer
The development application was referred to Council’s Development Engineer for comment who has advised that the development proposal is satisfactory with regards to stormwater disposal, traffic and car parking, and therefore can be supported subject to recommended conditions of consent.
Environment and Health
The development application was referred to Council’s Environment and Health Officer for comment who has advised that the development proposal is satisfactory and therefore can be supported subject to recommended conditions of consent, including compliance with the submitted acoustic report.
Tree Management
The development application was referred to Council’s Tree Management Officer for comment who has advised that the development proposal, which involves the removal of trees located within the site and one street tree is satisfactory subject to conditions.
Waste Management
The development application was referred to Council’s Waste Management Officer for comment who has advised that the development proposal is satisfactory and therefore can be supported subject to recommended conditions of consent.
Children Services
The development application was referred to Council’s Children Service Officer for comment who has advised that the development proposal is satisfactory with regards to the Education and Care Service National Regulations.
External Referrals
Endeavour Energy
A power pole is located in front of the subject site, to the south-east. As such, the application was referred to Endeavour Energy. The development has been supported, subject to conditions.
Planning Comments
The provisions of any Environmental Planning Instruments (EP&A Act s4.15 (1)(a)(i))
State Environmental Planning Policies
The proposed development is affected by the following State Environmental Planning Policies:
|
State Environmental Planning Policies (SEPPs) |
Relevant Clause(s) |
Compliance with Requirements |
|
State Environmental Planning Policy (Biodiversity and Conservation) 2021.
|
Chapter 2 -Vegetation in non Rural Areas. |
Yes – The development application includes the removal of 5 trees which includes 1 street tree. The removal is considered acceptable. The proposal does not exceed the biodiversity offsets scheme threshold. Therefore, the proposed vegetation removal is considered acceptable. |
|
Chapter 6 - Water Catchments.
Sydney Harbour Catchment. |
Yes – It is determined that given its location, a detailed assessment is not required given that there is no direct impact upon the catchment and no direct impact upon watercourses. As such, the development is acceptable under the new provisions that came into effect on Monday 21 November 2022. |
|
|
State Environmental Planning Policy (Resilience and Hazards) 2021.
|
Chapter 2 - Coastal Management. |
N/A – The subject site is not identified as being within a coastal wetland or ‘land identified as “proximity area for coastal wetlands” or coastal management area. |
|
Chapter 4 - Remediation of Land.
Part 4.6. |
Yes – Part 4.6 - Contamination and remediation to be considered in determining development application. The site has been used for residential purposes, and there is no history of contamination.
Council’s Environmental Health Officer has reviewed the submitted Hazardous Materials Survey which detects that there may be some asbestos and lead present within the site. Conditions are recommended to address such matters.
The preliminary site investigation report has also been reviewed and it is determined that the report is satisfactory subject to conditions. |
|
|
State Environmental Planning Policy (Building Sustainability Index: BASIX) 2004. |
|
N/A – Development is not BASIX affected development. |
|
State Environmental Planning Policy (Industry and Employment) 2021. |
Chapter 3 Advertising and Signage. |
Yes – Signage is proposed as part of the development application.
The development complies with the provisions of the SEPP. Refer to Appendix C for the assessment. |
|
State Environmental Planning Policy (Transport and Infrastructure) 2021. |
Chapter 2 - Infrastructure.
|
Yes – State Environmental Planning Policy (Transport and Infrastructure) 2021 is relevant to the development application as follows. |
|
Clause 2.48
|
Yes – A power pole is located in front of the subject site, to the south-east. As such, the application was referred to Endeavour Energy. The development has been supported, subject to conditions. |
|
| Chapter 3 - |
The development is mostly compliant. A variation exists to Part 4 – 4.9 Outdoor space requirements and Regulation 108 - Unencumbered outdoor space.
However, a condition will be imposed to reduce the total children attending the centre to be 74, to ensure adequate outdoor open space is available to the children which will address the issue. The issue is described in greater detail below.
The development will be capable of complying with the relevant provisions of the SEPP and Guide, subject to conditions.
Refer to assessment under Appendix A and B attached to the report. |
|
|
State Environmental Planning Policy (Sustainable Buildings) 2022 |
Chapter 3 – Standards for non-residential development |
N/A – State Environmental Planning Policy (Sustainable Buildings) 2022 sets sustainability standards of buildings across NSW for residential and non-residential development. The Sustainable Buildings SEPP was notified on 29 August 2022 and came into effect on 1 October 2023 to allow for the relevant industry to adjust to the new standards.
In accordance with the savings and transitional provisions of Clause 4.2 of the Sustainable Buildings SEPP 2022, this policy does not apply as the development application was submitted but not determined before 1 October 2023. |
Child Care Planning Guideline – 4.9 Outdoor space requirements
As described above in Chapter 3 - Education Establishments and Child Care Facilities, a variation is identified in relation to Part 4 – 4.9 Outdoor space requirements and Regulation 108 - Unencumbered outdoor space provisions.
Regulation 108 requires the unencumbered outdoor space to be 7sqm for each child. For this development an outdoor area of 574sqm (82 children x 7 sqm) is required. However, only 518sqm of unencumbered outdoor space is available as proposed. The area excludes dense planting, covered areas, and areas used primarily as thoroughfares. This results in a 56 sqm shortfall which is a 9.8% variation.
It should be noted that unencumbered outdoor space of 518sqm area is sufficient for 74 children. On this basis, the total number of children shall be limited to 74, to ensure that each child will have sufficient unencumbered outdoor space. The applicant has raised no objections to the reduction in child placement from 82 to 74 children.
Figure 4 – Areas included as unencumbered outdoor play area, highlighted in pink.

Clause 3.22 of the SEPP (Transport and Infrastructure) 2021 requires that in the case of a variation to this requirement, concurrence of the Regulatory Authority would be required. However, as the total number of children have been reduced to 74, the applicant has not sought concurrence in this instance.
Local Environmental Plans
Cumberland Local Environmental Plan 2021
The provision of the Cumberland Local Environmental Plan 2021 is applicable to the development proposal. It is noted that the development achieves compliance with the key statutory requirements of the Cumberland Local Environmental Plan 2021 and the objectives of the R2 Low Density Residential zone.
(a) Permissibility:
The proposed development is defined as a ‘Centre-based child care facilities’ and is permissible within the R2 zone with consent. The definition is provided below:
centre-based child care facility means-
a) a building or place used for the education and care of children that provides any one or more of the following:
i. long day care,
ii. occasional child care,
iii. out-of-school-hours care (including vacation care),
iv. preschool care, or
b) an approved family day care venue (within the meaning of the Children (Education and Care Services) National Law (NSW)),
Note - An approved family day care venue is a place, other than a residence, where an approved family day care service (within the meaning of the Children (Education and Care Services) National Law (NSW)) is provided.
but does not include -
c) a building or place used for home-based child care or school-based child care, or
d) an office of a family day care service (within the meanings of the Children (Education and Care Services) National Law (NSW)), or
e) a babysitting, playgroup or child-minding service that is organised informally by the parents of the children concerned, or
f) a child-minding service that is provided in connection with a recreational or commercial facility (such as a gymnasium) to care for children while the children’s parents are using the facility, or
g) a service that is concerned primarily with providing lessons or coaching in, or providing for participation in, a cultural, recreational, religious or sporting activity, or providing private tutoring, or
h) a child-minding service that is provided by or in a health services facility, but only if the service is established, registered or licensed as part of the institution operating in the facility.
The relevant matters to be considered under Cumberland Local Environmental Plan 2021 and the applicable clauses for the proposed development are summarised below. A comprehensive LEP assessment is contained in Appendix D.
Figure 5 – Cumberland LEP 2021 Compliance Table
|
DEVELOPMENT STANDARD |
COMPLIANCE |
PROPOSED |
DISCUSSION |
|
4.3 Height of Buildings max. 9m. |
Yes |
8.75m. |
Yes |
|
4.4 Floor Space Ratio.
|
N/A |
FSR does not apply in R2 zone.
However, a FSR of 0.5:1 is required by clause 3.25 of State Environmental Planning Policy (Transport and Infrastructure) 2021.
GFA: 513sqm, FSR: 0.37:1 |
Yes, Under the relevant SEPP as stated. |
The provisions of any proposed instrument that is or has been the subject (EP&A Act s4.15 (1)(a)(ii))
No proposed planning instruments applicable.
The provisions of any Development Control Plans (EP&A Act s4.15 (1)(a)(iii))
The Cumberland Development Control Plan 2021 is relevant to the development proposal. The development has been assessed using the following chapters:
· Part A – Introduction and General Controls,
· Part E – Other Land Use Based Development Controls,
· Part G – Miscellaneous Development Controls.
The development is found to comply with the relevant provisions except for the following:
Figure 6 – Cumberland DCP 2021 - Compliance Table
|
Relevant Control |
Compliance with Requirements |
Consistency Objectives |
|
|
Part E1 – Centre based childcare facilities |
|||
|
2.2 Bulk and scale |
C2. The front and rear setback shall comply with the relevant building envelope controls for the established built form of the locality and zone. |
Non-compliant –
Front setback: Average of adjoining: (5.7m + 7.829m)/2 = 6.77m, Entry porch – 5.3m.
The development results in a 22% variation. A variation is acceptable, in this case. |
Acceptable on merit |
|
Part G3 – Traffic, Parking, Transport and Access (Vehicle |
|||
|
4.3 Basement parking |
C2. Basement parking shall be located within the building footprint. |
Non-compliant – The basement protrudes beyond the footprint of the building’s ground floor.
This results in a 100% variation. A variation is acceptable, in this case. |
Acceptable on merit |
As indicated in the compliance table above, the proposed development departs from the Part E1 and Part G3 provisions of Council’s CDCP 2021. Irrespective of these departures, it is considered that the proposal performs adequately from an environmental planning viewpoint and may be supported for the reasons discussed below:
Part E1 – 2.2 Bulk and scale (front setback)
Control C2 requires the front and rear setbacks to be consistent with the established built form of the locality. In this regard, an average setback of 6.77m is established, based on the adjoining properties. The development’s entry structure has a 5.3m setback (22% variation).
The non-compliance is considered acceptable in this instance for the following reasons:
· The non-compliant section accounts for a small part of the building frontage (less than 20% of the frontage),
· Substantial landscaping is provided within front setback and along the side boundaries, which will effectively soften the development’s visual impact on the streetscape,
· As it is in the front setback area, there will not be any adverse amenity impacts, including solar access or privacy, on the subject or adjoining sites.
On the basis of the discussion above, the proposed variation is considered to be acceptable on merit.
Part G3 – 4.3 Basement parking (basement footprint)
Control C2 requires that the footprint of the basement shall be contained within the building footprint. However, the basement’s footprint extends beyond the footprint of the building’s ground floor (100% variation). The basement footprint facilitates the development’s on-site parking spaces, vehicle manoeuvring space, plant room and waste storage.
The applicant has provided the following justification for the departure to the control:
· Does not add additional bulk to the building,
· Maintains appropriate deep soil zones, and
· 20.3% of the site is provided as landscaped area.
The non-compliance is considered acceptable in this instance for the following reasons:
· The basement does not substantially protrude from the natural ground level, as such, the basement does not add to the building bulk, height of the overall development or have any adverse visual impact on the surrounding.
· The basement’s footprint does not adversely affect solar access and visual privacy to the adjoining sites and will maintain residential amenity. The part of the basement that extends outward from the building footprint does not protrude from the NGL.
· The proposal demonstrates compliance with landscaping requirement as required by child care centres, by providing at least 20% of the site as landscaped area and deep soil zone. Landscaped area, hedge planting and trees has been provided within the front setback area which will positively contribute to the streetscape and reduce the visual impact of the development from as seen from Osgood St.
On the basis of the discussion above, the proposed variation is considered to be acceptable on merit.
The provisions of any planning agreement that has been entered into under section 7.4, or any draft planning agreement that a developer has offered to enter into under section 7.4 (EP&A Act s4.15(1)(a)(iiia))
There is no draft planning agreement associated with the subject Development Application.
The provisions of the Regulations (EP&A Act s4.15 (1)(a)(iv))
The proposed development raises no concerns as to the relevant matters arising from the Environmental Planning and Assessment Regulation 2021 (EP&A Reg).
The Likely Environmental, Social or Economic Impacts (EP&A Act s4.15 (1)(b))
It is considered that the proposed development will have no significant adverse environmental, social or economic impacts in the locality.
The suitability of the site for the development (EP&A Act s4.15 (1)(c))
The subject site and locality is not known to be affected by any natural hazards or other site constraints likely to have a significant adverse impact on the proposed development. Accordingly, it is considered that the development is suitable in the context of the site and surrounding locality.
Submissions made in accordance with the Act or Regulation (EP&A Act s4.15 (1)(d))
Advertised (Website) Mail Sign Not Required
In accordance with Council’s Notification requirements contained within the Cumberland DCP 2021, the proposal was publicly notified for a period of 14 days between 5 October 2023 and 19 October 2023. The notification generated a total 32 submissions, including 27 unique submissions, including a petition containing 58 signatures in respect of the proposal. None of the submissions disclosed any political donation or gift. The issues raised in the public submissions are summarised and commented on as follows:
Figure 7 – Submissions summary table
|
Issue |
Planner’s Comment |
|
Traffic and parking The development will result in the following traffic and parking impacts:
· Congestion along Osgood St, · Overflow of basement parking and illegal parking on Council footpath, · Damage to footpath, · Pollution from traffic along the street. |
There is adequate car parking to support the development as demonstrated by the report.
All parking, manoeuvring and vehicle access to the site is provided in the basement. As parking demand has been met on-site, the potential for illegal parking on the Council footpath or using parking space on other lots is minimal. As such, there is minimal potential for damage to the footpath.
The submitted traffic report concludes that the surrounding road network has capacity to accommodate the traffic demands of the proposed development. The report has been assessed by Council’s Development Engineer, and it concludes that the development will not adversely affect local traffic and parking, as all parking and vehicle access can be undertaken within the basement. |
|
Noise pollution Noise generated from the operation of the child care centre, including from the children attending the centre and operation of plan, will adversely affect the amenity of the neighbouring properties. |
It should be noted that the total number of children will be reduced from 82 to 74, via conditions of consent. As such, the total noise generated from the premises will decrease.
An acoustic barrier along the eastern and western side boundaries and rear boundary will mitigate noise generated at the premise. Hedge planting will be provided along the side and rear boundaries, which will further reduce noise emission. Furthermore, as per the recommendation of the acoustic report, outdoor play will be limited to 2 hours in the morning and 2 hours in the afternoon. The development has been assessed and supported by Council’s Environmental Health Officer, and it will be required to comply with the remaining recommendations of the acoustic report.
All plant and machinery, including air conditioning units, on site shall comply with general noise emission criteria, as per NSW EPA Noise Policy for Industry 2017. The plant room and services are located in the basement, as such, noise emissions from the operation of any plant and machinery within the room will be contained within the basement and is not likely to affect neighbouring properties. |
|
Solar access Overshadowing of adjoining and nearby properties. |
The building height complies with the height controls under CLEP 2021. The first floor of the building has a side setback of 4.7m (west) and 13.2m (east), which is considered substantial. Minor overshadowing will occur to the front yards of 33 Osgood St at 9 am, and 27 Osgood St at 3 pm. The properties will receive adequate solar access during the remainder of the day. No other property in the vicinity of the subject site will be overshadowed, as the site is south-facing and most of the shadows are cast on the street-verge and street. |
|
Visual Privacy The proposed development may impede on the privacy of neighbouring properties and enable overlooking. |
The ground floor is not elevated, and the boundary is enclosed by a 2m tall acoustic barrier, which will minimise acoustic transmission and prevent overlooking from the ground floor. The boundary hedging will also provide screening.
The west-facing first-floor windows W18, W19, W20, W21 and W22 service the admin and staff room, which would be potentially high use areas of the first floor. As such, the windows shall have an increased sill height or obscure screening, up to 1.5m measured from the floor level.
The north-facing first-floor windows W15, W16, and W17, which services the kitchen and administration rooms, will be highlight windows thus avoiding privacy issues.
The east-facing first-floor windows W13, services the laundry and is highlight, as such, does not raise any concerns. |
|
Property value The development may adversely impact on and reduce the property value of nearby properties. |
Concern has been raised regarding the development’s impact on property prices of the surroundings, however, property value is not a planning concern. |
|
Safety and security The development may impede on safety and security of the neighbourhood due to vandalism, theft, and after hour onlookers. |
The street facing elevations contain adequate window and doorway openings, which will allow for passive surveillance of the street. People entering and leaving can also be observed via CCTV cameras provided on site, and video intercom system with camera, which will be installed at the entry and accessible internally. The premises will cease operation at 6pm during weekdays, which is considered to be normal business hours. There is no evidence that the development and the proposed hours will encourage vandalism, theft or other antisocial activities in the neighbourhood. |
|
Kitchen, bedding, and hygiene facilities Concern has been raised regarding the quality and maintenance of the kitchen, bedding, and hygiene facilities for the children. |
There is no indication that there will be a lapse in the maintenance of facilities used for the care of the children attending the centre. The operational plan of management addresses matters regarding hygiene, cleanliness, and washing of linens. The development has been assessed and supported by Council’s Environmental Health Officer, subject to conditions related to food safety, health and hygiene. Furthermore, the operation of the premises will require licensing, including Provider Approval and Service Approval, from the Department of Education and Communities, prior to the commencement of the premises. |
|
Waste management Moving the waste bins from the basement to the street is not practical. |
The bins will be presented kerbside for collection on a regular basis. The application has been considered by Council’s Waste Management Officer and no concern has been raised, subject to compliance with the Waste Management Plan (WMP) and the Operational Management Plan (OMP). |
|
Character of street The development is not consistent with the predominant character of the street. |
The development complies with the maximum building height at 8.75m; and the first floor of the building has a side setback of 4.7m (west) and 13.2m (east). The footprint of the first floor is recessed and occupies a smaller part of the overall building footprint to decrease the size of the development’s first floor element. This has the effect of staggering the building and reducing the development’s overall mass, as seen from neighbouring properties.
The proportion of the development's building frontage relative to the property’s front boundary, is similar to neighbouring dwelling’s frontages relative to their respective allotments. Most dwellings along the street occupy a larger part of the lot width compared to the subject development.
The fenestration, articulation of the street façade, building setbacks and front landscaping adequately reduce the development’s bulk and softens the building’s presence on the streetscape. |
|
Zoning Development’s consistency with the zoning of the locality. |
The development for a ‘centre based child care facility’ is permissible with consent, within the zone as previously demonstrated. |
|
Signage Concern has been raised regarding the compliance of the proposed signage to the SEPP (Industry and Employment) 2021 |
The proposed business identification sign has been assessed against the Chapter 3 of State Environmental Planning Policy (Industry and Employment) 2021 has been provided in Appendix C.
The proposed signage is consistent with the provisions of the SEPP and deemed satisfactory. |
|
Building height The development does not comply with the CLEP height requirement and a justification under Clause 4.6 has not been submitted. |
The development is compliant with the maximum height provisions of the Cumberland Local Environmental Plan 2021. |
|
Basement footprint The development’s basement extends outwards from the footprint of the building, which does not comply with the CDCP. |
Although the basement extends outwards from the building footprint of the childcare centre, it does not result in adverse amenity impacts on adjoining sites or limit landscaping within the subject site. The basement does not protrude above Natural Ground Level, as such, does not result in additional height or bulk to the building. Landscape and deep soil zones are provided on site, as well as new plantings provided within front setback. This softens the development’s presence when viewed from neighbouring sites and contributes towards an improved streetscape. Solar access and visual privacy are not affected and is maintained to neighbouring properties. On this basis, the variation is considered acceptable. |
|
Emergency access and evacuation The development’s emergency access and evacuation procedures may not be sufficient. |
An evacuation plan has been submitted, identifying the evacuations routes throughout each floor of the building and external assembly points. Furthermore, the submitted BCA report provides emergency facilities including exit/directional signs, emergency lighting, a lift that can accommodate a stretcher, and accessible toilets with emergency facilities. |
The public interest (EP&A Act s4.15(1)(e))
In view of the foregoing analysis, it is considered that the development, if carried out subject to the conditions set out in the recommendation below, will have no significant adverse impacts on the public interest.
CUMBERLAND LOCAL INFRASTRUCTURE CONTRIBUTIONS PLAN 2020
The development would require the payment of contributions in accordance with Cumberland Local Infrastructure Contributions Plan 2020.
In accordance with the Contribution Plan a contribution is payable, pursuant to Section 7.12 of the EP&A Act, calculated on the cost of works. A total contribution of $23,113.00 would be payable prior to the issue of a Construction Certificate.
HOUSING AND PRODUCTIVITY CONTRIBUTION (HPC)
In accordance with s7.24 of the Environmental Planning and Assessment Act, 1979 as amended by the Environmental Planning and Assessment Amendment (Housing and Productivity Contribution) Act 2023, the development is subject to the Housing and Productivity Contribution.
In accordance with Part 2 of Schedule 5 of the Environment Planning and Assessment (Housing and Productivity Contribution) Order 2023 (‘the Order’), the Order does not apply to a development consent granted to a pending development application (Pending DA).
A ‘Pending DA’ as per Schedule 1 of the Order and s16 of the EP&A Reg 2021 is as follows:
(a) a development application that is made, but not determined, before the commencement of this Order, or
(b) a development application that is made and determined before the commencement of this Order, but has not been finally determined, or
(c) an application for a complying development certificate that is made, but not determined, before the commencement of this Order.
As the application was lodged on the 18 August 2023, the provisions of the HPC do not apply.
DISCLOSURE OF POLITICAL DONATIONS AND GIFTS
The applicant and notification process did not result in any disclosure of Political Donations and Gifts.
Conclusion:
The proposed development is appropriately located within the R2 Low Density Residential Zone under the relevant provisions of the Cumberland LEP 2021, however variations in relation to the front setback and basement footprint under the CDCP 2021 are sought.
Having regard to the assessment of the proposal from a merit perspective, Council may be satisfied that the development has been responsibly designed and provides for acceptable levels of amenity for future residents. It is considered that the proposal successfully minimises adverse impacts on the amenity of neighbouring properties. Hence the development, irrespective of the departures noted above, is consistent with the intentions of Council’s planning controls and represents a form of development contemplated by the relevant statutory and non-statutory controls applying to the land.
For these reasons, it is considered that the proposal is satisfactory having regard to the matters of consideration under Section 4.15 of the Environmental Planning and Assessment Act 1979, and the development may be approved subject to conditions.
Consultation:
There are no consultation processes for Council associated with this report.
Financial Implications:
There are no financial implications for Council associated with this report.
Policy Implications:
There are no policy implications for Council associated with this report.
Communication / Publications:
The final outcome of this matter will be notified. The objectors will also be notified in writing of the outcome.
1. That Development Application 2023/0473 for demolition of existing structures, consolidation of two lots into one, construction of a two storey centre-based child care facility with 74 children, basement car parking and associated signage on land at 29 and 31 Osgood Street Guildford be approved subject to conditions listed in the attached schedule.
2. Persons whom have lodged a submission in respect to the application be notified of the determination of the application.
Attachments
1. Draft Notice of Determination
4. Stormwater/Engineering Plans
5. Operational Management Plan
6. Redacted Submissions Received
8. Appendix A - SEPP (Transport and Infrastructure) 2021
9. Appendix B - Child Care Planning Guideline
10. Appendix C - Assessment Table of State Environment Planning Policy (Industry and Environment) 2021 - Chapter 3 Advertising and Signage
11. Appendix D - Assessment Table of Cumberland Local Environment Plan 2021
12. Appendix E - Assessment Table of Cumberland Development Control Plan 2021
DOCUMENTS
ASSOCIATED WITH
REPORT LPP014/24
Attachment 1
Draft Notice of Determination
DOCUMENTS
ASSOCIATED WITH
REPORT LPP014/24
Attachment 8
Appendix A - SEPP (Transport and Infrastructure) 2021
DOCUMENTS
ASSOCIATED WITH
REPORT LPP014/24
Attachment 10
Appendix C - Assessment Table of State Environment Planning Policy (Industry and Environment) 2021 - Chapter 3 Advertising and Signage
DOCUMENTS
ASSOCIATED WITH
REPORT LPP014/24
Attachment 11
Appendix D - Assessment Table of Cumberland Local Environment Plan 2021
DOCUMENTS
ASSOCIATED WITH
REPORT LPP014/24
Attachment 12
Appendix E - Assessment Table of Cumberland Development Control Plan 2021
8 May 2024
Item No: ELPP015/24
Development Application - 39 - 41 Aurelia Street, ToongabbiE
Directorate: Environment and Planning
Responsible Officer: Executive Manager City Planning and Development
|
Application accepted |
1 June 2023. |
|
Applicant |
P Bull. |
|
Owner |
39 Aurelia Street – Soeljo Pty Ltd. 41 Aurelia Street – Mr Georges Salman. |
|
Application No. |
DA2023/0131. |
|
Description of Land |
39 – 41 Aurelia Street Toongabbie. Lot 38 & 39, Sec C of DP 10697. |
|
Proposed Development |
Alterations and additions to the approved building including the reconfiguration of the ground floor and basement levels to facilitate a 50 place childcare centre, commercial spaces, provisions for a waste room, signage and other associated building |
|
Cost of works |
$798,870.00 |
|
Site Area |
1,393.5 square metres. |
|
Zoning |
E1 Local Centre. |
|
Disclosure of political donations and gifts |
Nil disclosure. |
|
Heritage |
No. |
|
Principal Development Standards |
Floor Space Ratio (FSR) Permissible: 2.0:1 Proposed: 2.1:1 5% variation.
Height of Building Permissible:17m Unchanged previously approved building height under MOD2020/0169 being 20.3 metres / 19.4%. |
|
Issues |
Floor Space Ratio / Building Height / Cumberland Development Control Plan 2021 non-compliances |
Summary:
1. Development Application 2023/0131 was accepted on the 1 June 2023 for the alterations and additions to the approved building including the reconfiguration of ground floor and basement levels to facilitate a 50 place childcare centre, commercial spaces, provisions for a waste room and other associated building changes.
2. The application was publicly notified to occupants and owners of the adjoining properties for a period of 14 days between 8 June 2023 to 22 June 2023. Amended plans were further re-notified for a period of 7 days between the 17 October 2023 and 24 October 2023. A further set of amended plans were notified for an additional 7 days between the 30 November 2023 and the 7 December 2023. In response, no submissions were received.
3. The variations are as follows:
|
Control |
Required |
Approved |
Provided |
% variation |
|
Floor Space Ratio CLEP 2021 |
2,787sqm / 1,393.5 sq m 2.0:1 |
2.0:1 2,786.2m2
|
2,926 sqm / 1,393.5 sq m 2.1:1 |
5% |
|
Height of Buildings CLEP 2021 |
17m |
20.3m |
20.3m |
19.4% |
|
Adaptable Housing CDCP 2021 Part B5, C2.1 |
7 units |
6 units |
6 units |
14.3% |
|
Residential Apartment Mix CDCP 2021 Part B5, C2.2
|
- 1 bedroom / studio units (10%) - 3 plus bedroom units = 10% remaining balance to be 2-bedroom dwellings |
- 9 x 1 bedroom units (28%) - 24 x 2 bedroom units (75%)
|
- 9 x 1-bedroom units (28% mix); - 21 x 2-bedroom units (65.6% mix); and - 2 x 3-bedroom dwellings (6.25% mix). |
3.75% |
|
Floor to Ceiling Heights CDCP 2021 Part C, C3.8 |
• 3.5m for ground level |
3.5m |
3.050m |
12.9% |
4. The application is referred to the Cumberland Local Planning Panel as the proposal is classified as sensitive development as the State Environmental Planning Policy (Housing) 2021, Chapter 4 (Design of residential apartment) applies and is 4 or more storey in height.
5. The application is recommended for Deferred Commencement Approval subject to the conditions as recommended in the Council’s assessment report.
Report:
Subject Site and Surrounding Area
The site forms Lot 39 and Lot 38 Sec C DP 10697 and is known as 39 - 41 Aurelia Street Toongabbie The site has an area of 1,393.5 sqm and has a frontage of 30.48 metres to Aurelia Street. The site is generally rectangular and flat. The sites are currently occupied by two single storey dwellings and associated rear outbuilding.
The subject site and neighbouring allotments directly to the north east and southwest are zoned E1- Local Centre. The rear of the site adjoins properties which front Junia Avenue and are zoned R4 - High Density Residential.
3 lots up to the north of the site there is a locally listed heritage item ‘I246 St Edna’s Church Hall (inter-war hall, circa 1992).
The existing developments adjoining the site include a 2 storey residential apartment building to the south west and a single storey detached dwelling house to the north east. A recently constructed 4 storey residential apartment building is located to the north western boundary. The Toongabbie Train Station is located approximately 300m from the subject site. The site is located at the fringe of Toongabbie Town Centre and is shown below edged in purple.
It is noted that in accordance with Cumberland Development Control Plan 2021 Part F2-13, C6, the site is subject to land dedication, which will create a future lane way, linking up Aurelia Street with Junia Avenue. The land to be dedicated is 4m x 45.785m located north – east of No. 39 Aurelia Street Toongabbie. This has been conditioned under condition no. 155 of DA2015/627/1.
Figure 1 – Locality Plan of subject site

Figure 2 – Aerial view of subject site

Figure 3 – Street view of subject site (taken during a recent site inspection)

Description of The Development
The applicant seeks approval for an amending development application to introduce a new use and associated alterations and additions to an approved development consent for a shop top housing development (DA2015/627/1).
It is noted that DA2015/627/1 consent was activated on the 9 October 2019 and gave a 5-year period, with the consent due to expire on the 9 October 2024. Due to the Covid-19 pandemic, an additional 2 year extension was granting, making DA2015/627/1 still active and due to expire on the 9 October 2026.
The introduction of the child care centre results in modifications to various aspects of the development approved under Development Consent 2015/627/1 and further modified under Modification Consent M2015/627/2 and MOD2020/0169. The changes include the number of apartment, the residential apartment mix, reduction in commercial floor area on the ground floor, design of the basement levels, the provision of communal space and various other internal and external design changes to the building and the site.
A detailed account of the changes are provided below.
Centre-based child care centre
The new centre-based child care centre will occupy the majority of the ground floor of the building which is currently approved with 202.3 square metres of commercial floor area over 3 separate commercial tenancies. The centre comprises the following spaces:
Indoor child play areas as described below:
|
Indoor playroom |
Child age ratio |
Floor area (sqm) |
|
Playroom 1 |
0-2 years (10 children) |
32.5 |
|
Playroom 2 |
2-3 years (18 children) |
58.5 |
|
Playroom 3 |
3-6 years (22 children) |
71.5 |
|
Total area |
162.5 square metres |
|
A total of 50 places are expected to be created.
The centre will have outdoor child play areas located within the rear north-western and south western setback area as detailed below:
|
Outdoor play area |
Child age ratio |
Floor area (sqm) |
|
Outdoor play area |
0-5 years (50 children) |
371 |
Included into the facility:
· A nappy changing facility, cot room and crafts skin provided for the 0-2 room.
· Managers meeting room, reception, accessible toilet and staff room.
· Shared children’s toilets provided between the 2-3 and 3-6 year old rooms.
· Internal storage areas/facilities.
· A kitchen, a laundry and a water closet.
· Separate commercial and childcare waste facilities.
· Provision of eleven (11) parking spaces for the childcare centre located in Basement 1 (5 staff and 6 visitor).
Operational details
· The maximum number of child placements is 50 as per the above table. Hours of operation are 7.00am to 6.00pm, Monday to Friday.
· Ten (10) staff are proposed.
Changes to the development as approved under MOD2020/0169
The addition of a childcare centre results in changes to the design of the residential component of the development approved under MOD202/0169 as follows:
Ground floor:
· Reduction in 3 commercial tenancies to 1 commercial tenancy.
· Separate entries for the residential to the commercial / childcare.
· Changes to waste storage, with the residential waste rooms and commercial waste being separated.
Levels 1 -5:
· Deletion of one (1) residential apartment (Penthouse 05) on level 4 to accommodate additional communal open space area.
Change to unit mix
· The deletion of the abovementioned residential apartments results in a change to the residential apartment mix and yield as follows: This is repeated below in another table.
|
Approved apartment mix MOD2020/0169 |
9 x 1 bedroom. 24 x 2 bedroom. |
|
Total apartments. |
33 apartments |
|
Proposed apartment mix current DA2023/0131 |
9 x 1 bedroom. 21 x 2 bedroom. 2 x 3 bedroom |
|
Total apartments |
32 apartments. |
Provision of communal space
The allocation of communal open space associated with the residential component of the development is modified in response to the introduction of an outdoor child play area that occupies the entirety of the rear (north-west & south-west) setback area of the development at ground level. The following allocation of communal space is proposed:
· Communal open space is provided at level 4 amounting to an area of 65.3sqm.
· Communal open space on the rooftop level 5 is the same as that previously approved being an area of 231sqm.
External design changes
The following external design changes to the building are sought:
· Acoustic fencing at ground floor north – west and south – west elevations.
· Ground floor street elevation addressing Aurelia Street with window changes and façade changes to include child a care centre.
· North east elevation addressing proposed lane way at ground floor, changes to waste storage arrangements and introduction of commercial tenancy windows.
· South west elevation, level 4 introducing an additional communal open space area with planter box.
Basement level changes
Both ‘Basement 1’ and ‘2’ are modified with respect to the residential component of the development. Design changes to Basement 1 include:
· A new lift provides direct access to the child care centre and commercial component.
· 2 commercial parking spaces, with 1 space being accessible.
· 8 visitor parking spaces for the residential component, including 1 accessible space.
· 11 parking spaces for the childcare centre (5 staff and 6 visitor), with 1 space being accessible.
· 2 spaces for the residential apartments.
Minor changes to Basement 2 to include an additional 2 residential car parking space. This totals 34 residential spaces, which includes 1 car wash space and 5 accessible spaces.
The following table provides an overview comparison of approved development and proposed subject development:
History
· A pre lodgement meeting PDA/513 was held on the 23 September 2015 for the demolition of the existing structures and construction of a 5 storey shop top housing development comprising 34 residential units and 2 commercial tenancies over 2 basement levels of parking accommodating 34 car parking spaces.
· Development Application 2015/627/1 was refused on the 11 April 2017 for the demolition of existing structures; consolidation of 2 lots into lot; construction of a 5 storey shop top housing development comprising 32 residential units; 5 ground floor commercial units above 2 levels of basement parking accommodating 46 carparking spaces.
· REV2015/627/1 was approved on the 11/10/2017 being a S82A Review of Council's refusal for demolition of existing structures; consolidation of 2 lots into 1 lot; construction of a 5 storey shop top housing development comprising 32 residential units; 4 ground floor commercial units above 2 levels of basement parking accommodating 41 carparking spaces.
· M2015/627/2 S4.55(1A) modification was approved on the 5 April 2019 for alterations and additions in association with the proposed turntable within the loading zone of the approved shop top housing development.
· Schedule “A” letter was issued on the 9 October 2019.
· A pre lodgement meeting PL2019/0072 was held on 13 February 2020 for alterations and additions to the approved shop top housing.
· MOD2020/0169 was approved by Cumberland Local Planning Panel on the 15 October 2020 being a section 4.55(2) modification for various modifications to the approved shop top housing development including reconfiguration of apartment mix and commercial space to provide 33 apartments units and 3 commercial ground floor spaces, increase parking on-site to facilitate 52 cars, modify the rooftop open space, increase in floor levels and overall height and changes to the materials and finishes.
The history of the subject modification application is provided as below:
|
Date |
Action |
|
13/03/2023 |
The subject Development Application was lodged. |
|
01/06/2023 |
The subject Development Application was accepted by Council. |
|
05/06/2023 |
The Development Application was referred to Council’s internal departments for review. |
|
08/06/2023 to 22/06/2023 |
Application placed on public notification for 14 days. In response, no submission was received. |
|
25/08/2023 |
The application was deferred seeking additional information with regard to parking, stormwater management, flooding, insufficient Premilitary Site Investigation Report (PSI), acoustic issues, departures from the Childcare Planning Guidelines and minor planning issues and inconsistencies. |
|
25/09/2023 |
Meeting with Council staff and architect to resolve outstanding matters. |
|
11/10/2023 |
Amended plans and additional information were received by Council. |
|
07/10/2023 to 24/10/2023 |
Amended plans were re-notified for a period of 7 days. |
|
30/10/2023 |
Amended plans and documents were still unsatisfactory in terms of stormwater, parking, flooding and an insufficient PSI report. As a result of this, the applicant was sent a request to withdraw the application. |
|
09/11/2023 |
Meeting with Council staff, architect and applicants engineer to resolve outstanding matters. |
|
29/11/2023 |
The applicant submitted an additional set of amended plans and documents to address further matters raised by Council. |
|
30/11/2023 to 07/12/2023 |
Amended plans were re-notified for a period of 7 days. |
|
15/01/2024 |
Amended plans and documents were still unsatisfactory in terms of stormwater drainage. As a result of this, the applicant was sent a request to withdraw the application. |
|
01/03/2024 |
Applicant submitted amended stormwater plans to Council for assessment. |
|
08/05/2024 |
Application referred to CLPP for determination. |
Applicants Supporting Statement
The applicant has provided a Statement of Environmental Effects prepared by Civic Assessments Urban Planners dated 7 December 2022 and was received by Council on the 13 March 2023 in support of the application.
Contact With Relevant Parties
The assessing officer has undertaken a site inspection of the subject site and surrounding properties and has been in regular contact with the applicant throughout the assessment process.
Internal Referrals
Development Engineering
The development application was referred to Council’s Development Engineer for comment who has advised that the proposed development is supported, subject to deferred commencement conditions to provide details of stormwater connection and street sign installation.
Environment and Health
The development application was referred to Council’s Environment and Health Officer for comment who has advised that the development proposal is satisfactory subject to conditions.
Waste Management
The development application was referred to Council’s Waste Management Officer for comment who has advised that the development proposal is satisfactory.
Childrens Services
The development application was referred to Council’s Children Services Officer for comment who raised no objections to the development.
External Referrals
The application was not required to be referred to any external government authorities for comment.
Planning Comments
The provisions of any Environmental Planning Instruments (EP&A Act s4.15 (1)(a)(i))
The proposed development is affected by the following State Environmental Planning Policies:
|
State Environmental Planning Policies (SEPPs) |
Relevant Clause(s) |
Compliance with Requirements |
|
State Environmental Planning Policy (Housing) 2021
On 14 December 2023 SEPP 65 was repealed. SEPP (Housing) 2021 was updated to include savings and transitional provisions which requires Chapter 4 of the Policy to be considered in the assessment of any DA pertaining to the design of a residential apartment development that is at least 3 storeys, not including an underground car parking storey.
This criterion applies to the subject DA as it proposes design changes to an approved Residential Flat Development. |
Chapter 4 Design of residential apartment development |
Design changes are proposed to the residential component of the development in response to the addition of a new child care centre. As such, an assessment against the relevant provisions of Chapter 4 of the Policy and the Apartment Design Guide (ADG) was undertaken. The proposal is compliant with the relevant requirements of the Policy and the ADG as detailed in the compliance table at Attachment 7. |
|
State Environmental Planning Policy (Biodiversity and Conservation) 2021
|
Chapter 2 -Vegetation in non Rural Areas |
The proposal does not exceed the biodiversity offsets scheme threshold as no vegetation removal is proposed. |
| Chapter 6 - |
A detailed assessment is not required given that there is no direct impact upon the catchment and no direct impact upon watercourses.
As such, the development is acceptable under the new provisions that came into effect on Monday 21 November 2022. |
|
|
State Environmental Planning Policy (Resilience and Hazards) 2021
|
Chapter 2 - Coastal Management |
The subject site is not identified as a coastal wetland or ‘land identified as “proximity area for coastal wetlands” or coastal management area. |
|
Chapter 4 - Remediation of Land
Part 4.6 |
Part 4.6 - Contamination and remediation to be considered in determining development application.
A Preliminary Site Investigation has been submitted. The report has identified the presence of a fill layer.
The entire site footprint will be subject to bulk excavation (5m deep), and soils currently present in the presumed fill layer will be removed from the site as part of the construction activities. The report indicates that soils excavated from the Site must be classified in accordance with the NSW EPA Waste Classification Guidelines Part 1: Classifying Waste (2014) prior to being transported off-site, which effectively nullifies any requirement for further assessment. Council’s Environmental Health Officer has assessed the report and has raised no objection to the development subject to conditions of consent.
As such, it is considered that the development application is satisfactory under Part 4.6 of Chapter 4 of this Policy. |
|
|
State Environmental Planning Policy (Building Sustainability Index: BASIX) 2004 |
Chapter 2 - Infrastructure
|
A BASIX Certificate (Certificate number: 1389017M) was submitted in response to modifications to the unit mix and other changes to the residential component of the development arising from the addition of a child care centre. |
|
State Environmental Planning Policy (Sustainable Buildings) 2022
|
|
State Environmental Planning Policy (Sustainable Buildings) 2022 sets sustainability standards of buildings across NSW for residential and non-residential development. The Sustainable Buildings SEPP was notified on 29 August 2022 and came into effect on 1 October 2023 to allow for the relevant industry to adjust to the new standards.
In accordance with the savings and transitional provisions of Clause 4.2 of the Sustainable Buildings SEPP 2022, the policy does not apply as the development application was submitted but not determined before 1 October 2023. |
|
State Environmental Planning Policy (Industry and Employment) 2021 |
Chapter 3 Advertising and Signage |
One wall sign is proposed in association with the ground floor childcare centre.
The business identification signage is considered acceptable for the proposed use.
Refer to attachment 7 where a detailed assessed of the proposed signage has been completed. |
|
State Environmental Planning Policy (Transport and Infrastructure) 2021 |
Chapter 2 - Infrastructure
Clause 2.48 |
This was addressed under all previous applications (DA2015/627, M2015/627/2 & MOD202/0169). There are no changes to the building envelope as previously approved and it is also noted that the development site is not located within 5m of an overhead electricity power line. |
|
Chapter 3 - Education Establishments and Child Care Facilities
|
Chapter 3 Educational Establishments and Child Care Facilities.
The development is generally compliant with the provisions specified in Chapter 3 of the Policy. Clause 3.23 of the Policy requires consideration of the Child Care Planning Guideline in relation to the proposed development. The proposal has been assessed with regard to the relevant provisions of the Guideline and is found to be compliant.
A detailed assessment against the provisions of the Policy and the Guideline is provided in the assessment table at Attachments 6 & 7. |
(a) State Environmental Planning Policy (Housing) 2021 – Chapter 4 Design of residential apartment development
On 14 December 2023, the NSW Government consolidated the provisions of State Environmental Planning Policy No 65 – Design Quality of Residential Apartment Development (SEPP 65) into the Housing SEPP and the Environmental Planning and Assessment Regulation 2021 (the Regulation).
As per Schedule ‘7A Savings and transitional provisions’, Section 8(1) and (2A), Chapter 4 of the Housing SEPP applies to the current development application.
A comprehensive assessment against the Policy is contained in Attachment 7.
Local Environmental Plans
The provision of the Cumberland Local Environmental Plan 2021 (CLEP 2021) is applicable to the development proposal. It is noted that the development achieves compliance with the key statutory requirements of the CLEP 2021 and the objectives of the E1 Local Centre land zone.
(b) Permissibility:
The proposed development is defined as ‘shop top housing’ and a ‘centre-based child care centre’ which are permissible in the E1 Local Centre land zone with consent.
Shop top housing is defined as:
shop top housing means one or more dwellings located above the ground floor of a building, where at least the ground floor is used for commercial premises or health services facilities.
A Centre based child care facility is defined as:
centre-based child care facility means -
(a) a building or place used for the education and care of children that provides any one or more of the following –
(i) long day care,
(ii) occasional child care,
(iii) out-of-school-hours care (including vacation care),
(iv) preschool care, or
(b) an approved family day care venue (within the meaning of the Children (Education and Care Services) National Law (NSW))
The relevant matters to be considered under CLEP 2021 and the applicable clauses for the proposed development are summarised below. A comprehensive CLEP assessment is contained in Attachment 9.
Cumberland LEP 2021 Compliance Table
|
DEVELOPMENT STANDARD |
PROPOSED |
VARIATION |
DISCUSSION |
|
4.3 Height of Buildings 17m. |
20.3m |
19.4% |
Refer to clause 4.6 variation discussion below. |
|
4.4 Floor Space Ratio 2.0:1 = 2,787 sqm |
2.1:1 = 2,923.9 sqm |
5% |
Refer to clause 4.6 variation discussion below. |
Recent changes to the provisions regarding Clause 4.6 Variations will not apply to the current development application because the application was lodged prior to the new provisions coming into effect on Wednesday 1 November 2023.
(c) Clause 4.6 – Variation to Height of Buildings and Floor Space Ratio
Clause 4.6 allows the consent authority to vary development standards in certain circumstances and provides an appropriate degree of flexibility to achieve better design outcomes. The consent authority may grant the exception as the Secretary’s concurrence can be assumed where clause 4.6 is adopted as per the Department of Planning Circular PS 20-002, dated 05 May 2020.
The applicant has submitted a written request to vary the development standards for floor space ratio. Based on various case laws established by the Land and Environment Court of NSW such as Four2five P/L v Ashfield Council [2015] NSWLEC 9, Randwick City Council v Micaul Holdings P/L [2016] NSW LEC7 and Zhang and anor v Council of the City of Ryde [2016] NSWLEC 1179, a 3 part assessment framework for a variation request proposed under clause 4.6 has been considered and an assessment of the proposed variance, following the 3 part test is discussed in detail below.
NOTE: It is noted that the applicants 4.6 written variation request makes reference to the zone as a B2 Local Centre zone. This was the former zone. The DA was lodged to Council on the 13/03/2023 and on the 26/04/2023 the CLEP was subject to new employment zones, which renamed the B2 Local Centre zone to E1 Local Centre. In this instance as the DA was lodged before the zone names were changed.
Clause 4.6 – Variation to Height of Buildings
The 3 preconditions which must be satisfied before the application can proceed are as follows:
1. Is the proposed development consistent with the objectives of the zone?
Applicant’s justification:
The proposal is consistent with the objectives of the zone as it provides for an additional commercial use (a childcare centre) in a local centre zone that is identified as serving the needs of this community. The revised shopfronts to Aurelia Street and the lane way still allow for viable commercial on the site that will enhance the main street. The site is an ideal location for a childcare centre as it is within a local centre zone that specifically seeks service and employment uses and is within 300m walking distance to Toongabbie Railway Station. The location of the centre, the facilities within it and the nature of the childcare centre use will maximise public transport patronage and encourage walking and cycling. The childcare centre will provide additional employment and whilst providing support to parents. The increased commercial activity improves the approved building’s compliance with this zone objective.
Planner’s comment:
The development introduces a childcare centre which provides an additional community use to service the needs of the local people in the area. The childcare centre will provide additional employment opportunities and economic growth within the local centre. The non-residential use at ground floor provides an active street frontage which will attract pedestrian traffic and facilitate a vibrant public domain.
2. Is the proposed development consistent with the objectives of the development standard which is not met?
Applicant’s justification:
The objectives of the height control (Clause 4.3) are:
“4.3 Height of buildings
(1) The objectives of this clause are as follows—
(a) to establish a maximum height of buildings to enable appropriate development density,
(b) to ensure that the height of buildings is compatible with the character of the locality,
(c) to minimise the visual impact of development,
(d) to ensure sufficient solar access and privacy for neighbouring properties”
The proposed development is consistent with each of the relevant objectives. In terms of objective (a), this DA does not change or extend the approved height of the building. That height was deemed appropriate. The proposal complies with objective (b), noting the proposed building height is already approved and this is a transforming precinct likely to have much taller buildings in the future. The site is within 400m of Toongabbie Railway Station and NSW Government Transport Orientation Development (TOD) reforms apply to the site. The approved and proposed building height is modest and in character, when contrasted with current draft building height controls for shop top housing in this precinct.
Regarding objective (c), as noted above the building height over the control is approved and the building has been deemed as visually acceptable in the approved DA. Regarding objective (d), this is a transforming high density housing precinct and the approved building has been deemed to provided sufficient solar access for neighbours and its residents. The proposal complies with the objectives of the height control.
Planner’s comment:
Council considers the development to maintain consistency with the objectives of the standard. The proposed mixed-use building is considered to be an appropriate development density for the subject site. The development is generally compliant with relevant development controls and is considered suitable for the local centre business zone. The increase in height is considered acceptable to the locality. It is noted that the building envelope, height and number of stories remains generally the same as previously approved under MOD202/0169.
3. a) Is compliance with the development standard unreasonable or unnecessary in the circumstances of the case? And;
Applicant’s justification:
The E1 - Local Centre zone is primarily focussed on non-residential use in particular commercial need, serving the local community, employment and promoting public transport patronage and encourage walking and cycling. As discussed, the proposed childcare centre is a superior zoning outcome to what was approved and likely to take place on the ground floor of this building (retail and food and drink premises). Having regard to the above, it can be concluded that compliance with the height control for this site are unreasonable and unnecessary in the circumstances of the case, and that there are sufficient environmental planning grounds to justify the non-compliances. The proposal is also in the public interest. It is consistent with the objectives of the standard as well as the objectives of the zone. A good planning outcome is facilitated by approval of this request.
Planner’s comment:
Compliance with the height development standard in this case is considered unnecessary and unreasonable as the height has previously been approved and endorsed under MOD2020/0169. The same number of stories and maximum building RL is unchanged and remains the same as previously approved. The proposed use is considered suitable for the subject site within the Toongabbie City Centre.
b) Are there sufficient environmental planning grounds to justify contravening the development standard and therefore is the applicant’s written justification well founded?
Applicant’s justification:
There are sufficient environmental planning grounds to justify contravening the building height control because the proposal is consistent with and satisfies the objectives of the standard, the objectives of the zone (discussed below) and the circumstances of the site.
The amended scheme reorientates the residential and childcare centre foyer and entry to Aurelia Street as sought by Council and provides for the following key changes outlined below.
· A reduction in units from 33 to 32.
· And increase in communal open space from 376m² (27% of site area) to 423.8m² (30% of site area).
The site is an ideal location for a childcare centre as it is within a E1 Local Centre zone that specifically seeks service-orientated, and employment uses. The site is within 300m walking distance to Toongabbie Railway Station and this use will promote walking and public transport use.
The most significant socio-economic benefit of the proposal is that there is an existing and growing need for childcare in the Cumberland City Council community.
Planner’s comment:
Council considers that there are sufficient environmental planning grounds to justify contravening the development standard noting the following:
· The building height is same as previously approved under MOD2020/0169.
· The building envelope / setbacks are generally the same and consistent with previous approval under MOD2020/0169.
· Under the former Holroyd Local Environmental Plan 2013, MOD2020/0169 was permitted a maximum permissible FSR of 2.1:1. Now under Cumberland Local Environmental Plan 2021, the subject site is only permitted to a FSR of 2.0:1.
· Sufficient solar access and privacy is maintained to surrounding development sites.
· As discussed above, the development maintains compliance with the objectives of the prescribed land use zone and the intent of the floor space ratio development standard.
Council therefore considers the applicant’s written justification to be well founded.
Clause 4.6 – Variation to Floor Space Ratio (FSR)
The 3 preconditions which must be satisfied before the application can proceed are as follows:
1. Is the proposed development consistent with the objectives of the zone?
Applicant’s justification:
The proposal is consistent with the objectives of the zone as it provides for an additional commercial use (a childcare centre) in a local centre zone that is identified as serving the needs of this community. The revised shopfronts to Aurelia Street and the lane way still allow for viable commercial on the site that will enhance the main street. The site is an ideal location for a childcare centre as it is within a local centre zone that specifically seeks service and employment uses and is within 300m walking distance to Toongabbie Railway Station. The location of the centre, the facilities within it and the nature of the childcare centre use will maximise public transport patronage and encourage walking and cycling. The childcare centre will provide additional employment and whilst providing support to parents. The increased commercial activity improves the approved building’s compliance with this zone objective.
Planner’s comment:
The development introduces a childcare centre which provides an additional community use to service the needs of the local people in the area. The childcare centre will provide additional employment opportunities and economic growth within the local centre. The non-residential use at ground floor provides an active street frontage which will attract pedestrian traffic and facilitate a vibrant public domain.
2. Is the proposed development consistent with the objectives of the development standard which is not met?
Applicant’s justification:
The amended proposal provides for infill additions to the approved shop top housing building, in which the proposal meets the relevant objectives of the floor space standard.
The objectives of the floor space control (Clause 4.4) are:
“4.4 Floor space ratio
(1) The objectives of this clause are as follows—
(a) to establish a maximum floor space ratio to enable appropriate development density,
(b) to ensure that development intensity reflects its locality.”
The proposed development is consistent with each of the relevant objectives. In terms of objective (a), the amended proposal provides for a reduction in the residential density of the approved shop top housing building (33 to 32 apartments) and an increase in commercial use only. The approved apartment mix is modified from 33 to 32 with 2 apartments modified to 3 bedroom apartments.
The amended DA provides for an increase in commercial floor space on the site. This commercial floor space is more diverse (in terms of use) than approved, better aligned with community need and the purpose of the local centre zone. The proposal provides for an increase in commercial activity on the site that is consistent with the purpose of the zone and has no new physical impacts, as the additional commercial floor space is within the envelope of the approved building. The site has excess parking and adequate service areas for the additional commercial space sought. The site is also within 300m of the Toongabbie Railway Station and a childcare centre in this location will allow for better use of the railway station and promote walking and cycling.
In this instance, the proposed variation to the floor space control provides for an appropriate development density given site zoning, physical impacts, the purpose of that density and site context. The proposal complies with objective (b).
Regarding objective (b), as noted above the additional floor space sought does not provide for an intensity of development that is inappropriate in a physical, zoning, servicing, or contextual sense. The site is in a locality identified for transformative development and commercial activity. A childcare centre is a use that has broader socio-economic benefits in a Local Centre zone that is largely dedicated to employment-oriented use. The proposal complies with objective (b).
The proposal complies with the objectives of the floor space control.
Planner’s comment:
(1) The objectives of this clause are as follows—
(a) to establish a maximum floor space ratio to enable appropriate development density,
(b) to ensure that development intensity reflects its locality.
Council considers the development to maintain consistency with the objectives of the standard. The proposed mixed-use building is considered to be an appropriate development density for the subject site. The development is generally compliant with relevant development controls and is considered suitable for the local centre business zone. The increase in floor space is considered acceptable to the locality. It is noted that the building envelope remains generally the same as previously approved under MOD2020/0169. The building height and number of stories is unchanged as per previously approved.
3. a) Is compliance with the development standard unreasonable or unnecessary in the circumstances of the case? And;
Applicant’s justification:
The amended proposal provides for a reduction in the residential density of the approved shop top housing building (33 to 32 apartments) and an increase in commercial use only. The approved apartment mix is modified from 33 to 32 apartments, with 2 apartments modified to 3 bedroom apartments The amended DA provides for an increase in commercial floor space on the site. Compliance with the development standard is considered unreasonable of the case.
Planner’s comment:
The development results in a reduction to the total yield (33 to 32 apartments) and a change to the mix of apartments (refer to development description earlier in this report). Notwithstanding, it is considered that a broad range of apartment types is maintained and a satisfactory level of residential amenity (of residents within the development and surrounding properties) will be maintained by the provision of acoustic measures to limit the operational noise generated by the child care centre. This includes the provision of acoustic barriers around the perimeter of outdoor child play areas which is supported by Council’s Environmental Health Officer.
b) Are there sufficient environmental planning grounds to justify contravening the development standard and therefore is the applicant’s written justification well founded?
Applicant’s justification:
There are sufficient environmental planning grounds to justify contravening the floor space control because the proposal is consistent with and satisfies the objectives of the FSR standard, the objectives of the zone.
The amended scheme reorientates the residential and childcare centre foyer and entry to Aurelia Street as sought by Council and provides for the following key changes outlined below.
· A reduction in units from 33 to 32.
· And increase in communal open space from 376m² (27% of site area) to 423.8m² (30% of site area).
The site is an ideal location for a childcare centre as it is within a local centre zone that specifically seeks service-orientated, and employment uses. The site is within 300m walking distance to Toongabbie Railway Station and this use will promote walking and public transport use.
The most significant socio-economic benefit of the proposal is that there is an existing and growing need for childcare in the Cumberland City Council community.
The planning justification for this variation to the floor space control are that the proposed childcare centre has no new physical impacts (noting it is wholly within the approved envelope of the existing shop top housing building). The addition of a childcare centre into this shop top housing building allows for better compliance with the zone objectives and provides a service that will service forecast population growth in the Cumberland Local Government Area.
Planner’s comment:
Council considers that there are sufficient environmental planning grounds to justify contravening the development standard noting the following:
§ The building height is same as previously approved under MOD2020/0169.
§ The building envelope / setbacks are generally the same and consistent with previous approval under MOD2020/0169.
§ Under the former Holroyd Local Environmental Plan 2013, MOD2020/0169 was permitted a maximum permissible FSR of 2.1:1. Now under Cumberland Local Environmental Plan 2021, the subject site is only permitted to a FSR of 2.0:1.
§ Sufficient solar access and privacy is maintained to surrounding development sites.
§ As discussed above, the development maintains compliance with the objectives of the prescribed land use zone and the intent of the floor space ratio development standard.
Council therefore considers the applicant’s written justification to be well founded.
Conclusion:
Council is satisfied that the applicant’s written request has adequately addressed the matters required to be demonstrated by clause 4.6 subclause (3). Council is further satisfied that the proposed development will be in the public interest because it is consistent with the objectives of the particular standard and the objectives for development within the zone in which the development is proposed to be carried out.
It is the view of Council Officers that justification provided is satisfactory and having considered the application on its merit, the exception to the maximum floor space ratio and height of buildings development standards are considered acceptable in this instance.
The provisions of any proposed instrument that is or has been the subject (EP&A Act s4.15 (1)(a)(ii))
No proposed planning instruments are applicable to the site.
The provisions of any Development Control Plans (EP&A Act s4.15 (1)(a)(iii))
The Cumberland Development Control Plan 2021 is relevant to the development proposal.
The development is found to comply with the relevant provisions except for the following:
Cumberland DCP 2021 - Compliance Table
|
Clause |
Control |
Proposed |
Complies |
|
Part B5 – Adaptable Housing and Housing Mix 2.1, C1
|
Adaptable housing A minimum of 20% of the total dwellings in a development should be adaptable housing complying with AS 4299. |
Proposed adaptable apartments = 6 / 14.3% |
No |
|
Part B5, clause 2.2, C1 |
Residential apartment mix A minimum provision of one bedroom/studio dwellings (10%), and three plus-bedroom dwelling types (10%) with the balance provided as 2 bedroom dwellings. |
The proposal provides the following dwelling mix: - 9 x 1-bedroom dwellings (28% mix); - 21 x 2-bedroom dwellings (65.6% mix); and - 2 x 3-bedroom dwellings (6.25% mix). |
No |
|
Part C Clause 3.8, C1 |
Ceiling height The minimum finished floor level (FFL) to finished ceiling level (FCL) in a commercial building, or the commercial component of a building, shall be as follows: • 3.5m for ground level (regardless of the type of development); and • 3.3m for all commercial / retail levels above ground level. |
3.050m floor-to-ceiling height is provided to the ground floor childcare centre.
3.620m is provided for the commercial component. |
No |
As indicated in the compliance table above, the proposed development departs from three controls of the CDCP.
Irrespective of these departures, it is considered that the proposal performs adequately from an environmental planning viewpoint and may be supported for the reasons discussed below:
Adaptable Housing
20% of 32 units = 6.4, rounded up to a total of 7 units. 6 units (18.75%) are proposed to be adaptable. This is the same as previously approved, under MOD2020/0169. This is considered acceptable for the development as it is only a minor variation to the control.
Residential Apartment Mix
The proposal provides the following dwelling mix:
- 9 x 1-bedroom dwellings (28% mix);
- 21 x 2-bedroom dwellings (65.6% mix); and
- 2 x 3-bedroom dwellings (6.25% mix).
The variation is to the 3 bedroom units as a minimum 10% is required and only 6.25% 3 bedroom unit have been provided for. In this instance the variation is considered acceptable as the situation has improved since the previous application MOD2020/0169. Previously no 3 bedroom units were provided for and now there are 2. The improvements are supported by the Council.
Ceiling Heights
3.050m floor to ceiling height is provided for the childcare centre component on ground floor and 3.620m floor to ceiling height is provided for the commercial component. The DCP requires all ground floors to have a minimum 3.5m floor to ceiling height, regardless of the use proposed. The 450mm shortfall from DCP requirement is considered acceptable on merit in this instance as the proposal meets the minimum required by the National Construction Code (NCC), which is 2.4m. The 3.050m ensures the building does not exceed the existing height limit previously approved under MOD2020/0169.
The provisions of any planning agreement that has been entered into under section 7.4, or any draft planning agreement that a developer has offered to enter into under section 7.4 (EP&A Act s4.15(1)(a)(iiia))
There is no draft planning agreement associated with the subject development application.
The provisions of the Regulations (EP&A Act s4.15 (1)(a)(iv))
The proposed development raises no concerns as to the relevant matters arising from the Environmental Planning and Assessment Regulation 2021 (EP&A Reg).
The Likely Environmental, Social or Economic Impacts (EP&A Act s4.15 (1)(b))
The likely impacts of the development have been considered in the assessment of the application and it is considered that the proposed development is unlikely to result in any significant social or economic impacts in the locality.
The proposed stormwater drainage connection is subject to deferred commencement conditions. Additional information is required for the stormwater connection to rear of the site. An additional deferred commencement condition is required for the proposed street signage in the future laneway.
The suitability of the site for the development (EP&A Act s4.15 (1)(c))
It is considered that the development is suitable in the context of the site and surrounding locality.
Submissions made in accordance with the Act or Regulation (EP&A Act s4.15 (1)(d))
|
Advertised (Website) |
|
Sign |
Not Required |
In accordance with Council’s Notification requirements contained within the Cumberland DCP 2021, the proposal was publicly notified for a period of 14 days between 8 June 2023 and 22 June 2023. Amended plans were further re-notified for a period of 7 days, from the 17 October 2023 to 24 October 2023, and a further set of amended plans were notified for an additional 7 days from the 30 November 2023 to the 7 December 2023. The notification generated no submissions in respect of the proposal.
The public interest (EP&A Act s4.15(1)(e))
In view of the foregoing analysis it is considered that the development as proposed would be consistent with the public interest.
CUMBERLAND LOCAL INFRASTRUCTURE CONTRIBUTIONS PLAN 2020
The development would require the payment of contributions in accordance with Cumberland Local Infrastructure Contributions Plan 2020.
In accordance with the Contribution Plan a contribution is payable, pursuant to Section 7.12 of the EP&A Act, calculated on the cost of works. A total contribution of $8,211 for the childcare centre would be payable prior to the issue of a Construction Certificate
Condition no. 15 of DA2015/627/1 will also be required to be amended as the built form has been altered.
HOUSING AND PRODUCTIVITY CONTRIBUTION (HPC)
In accordance with s7.24 of the Environmental Planning and Assessment Act, 1979 as amended by the Environmental Planning and Assessment Amendment (Housing and Productivity Contribution) Act 2023, the development is subject to the Housing and Productivity Contribution.
In accordance with Part 2 of Schedule 5 of the Environment Planning and Assessment (Housing and Productivity Contribution) Order 2023 (‘the Order’), the Order does not apply to a development consent granted to a pending development application (Pending DA).
A ‘Pending DA’ as per Schedule 1 of the Order and Schedule 6, Part 9, s16 of the EP&A Reg 2021 is as follows:
a) a development application that is made, but not determined, before the commencement of this Order, or
b) a development application that is made and determined before the commencement of this Order, but has not been finally determined, or
c) an application for a complying development certificate that is made, but not determined, before the commencement of this Order.
As the application was lodged on 1 June 2023, the provisions of the HPC do not apply.
DISCLOSURE OF POLITICAL DONATIONS AND GIFTS
The applicant and notification process did not result in any disclosure of Political Donations and Gifts.
Conclusion:
The development application has been assessed in accordance with the relevant requirements of the Environmental Planning and Assessment Act 1979, Cumberland Local Environmental Plan 2021 and Cumberland Development Controls Plan 2021 and is considered to be satisfactory for approval.
Having regard to the relevant matters of consideration under Section 4.15 of the Environmental Planning and Assessment Act 1979, it is considered that the proposed development is acceptable for the reasons outlined in this report. It is recommended that the development application may be granted deferred commencement approval subject to conditions.
Consultation:
There are no consultation processes for Council associated with this report.
Financial Implications:
There are no financial implications for Council associated with this report.
Policy Implications:
There are no policy implications for Council associated with this report.
Communication / Publications:
The final outcome of this matter will be notified. The objectors will also be notified in writing of the outcome.
1. That the Clause 4.6 variation requests to contravene the floor space ratio and height development standards, pursuant to the Cumberland LEP 2021, be supported.
2. That Development Application 2023/0131 for alterations and additions to approved building including the reconfiguration of ground floor and basement levels to facilitate a 50 place childcare centre, commercial space, provisions for a waste room and other associated building changes on land at 39 – 41 Aurelia Street, Toongabbie be granted deferred commencement approval subject to conditions listed in the attached schedule.
Attachments
1. Draft Notice of Determination
2. Architectural Plans, Stormwater Plans & Landscape Plans
3. Clause 4.6 Variation Request to Floor Space Ratio
4. Clause 4.6 Variation to Height
5. DA2015/637 Development Consent
6. MOD2020/0169 Development Consent & Stamped Plans
7. State Environmental Planning Policies Assessment
8. Child Care Planning Guidelines
DOCUMENTS
ASSOCIATED WITH
REPORT LPP015/24
Attachment 1
Draft Notice of Determination
DOCUMENTS
ASSOCIATED WITH
REPORT LPP015/24
Attachment 2
Architectural Plans, Stormwater Plans & Landscape Plans
DOCUMENTS
ASSOCIATED WITH
REPORT LPP015/24
Attachment 3
Clause 4.6 Variation Request to Floor Space Ratio
DOCUMENTS
ASSOCIATED WITH
REPORT LPP015/24
Attachment 6
MOD2020/0169 Development Consent & Stamped Plans
DOCUMENTS
ASSOCIATED WITH
REPORT LPP015/24
Attachment 7
State Environmental Planning Policies Assessment
8 May 2024
Item No: ELPP016/24
Development Application - 10A Octavia Street, Toongabbie
Directorate: Environment and Planning
Responsible Officer: Executive Manager City Planning and Development
|
Application accepted |
14 November 2023 |
|
Applicant |
Cumberland Council C/O Phillips Marler |
|
Owner |
Cumberland City Council |
|
Application No. |
DA2023/0651 |
|
Description of Land |
10A Octavia Street TOONGABBIE NSW 2146, Lot 39 DP 667025 |
|
Proposed Development |
Demolition of existing amenity block, construction of a new amenities building including a meeting room, construction of new pathways and landscaping works in Girraween Park |
|
Zoning |
RE1 – Public Recreation Zone |
|
Site Area |
3.196 Hectares |
|
Disclosure of political donations and gifts |
Nil disclosure |
|
Cost of works |
$3,169,190.00 |
|
Heritage |
The subject site is not heritage listed or within a heritage conservation area |
|
Principal Development Standards |
N/A |
|
Issues |
· Cumberland Development Control Plan 2021 non-compliances · Submissions |
Summary:
1. Development Application No. DA2023/0651 was accepted on 14 November 2023 for the demolition of existing amenity block, construction of a new amenities building including a meeting room, construction of new pathways and landscaping works in Girraween Park.
2. The application was publicly notified to occupants and owners of the adjoining properties for a period of twenty-eight (28) days between 21 November 2023 and 19 December 2023. In response, 14 submissions (including 2 petitions) were received. However, only thirteen (13) of these submissions were considered unique submissions.
3. 3. On 1 February 2024, a request for information was issued to the applicant detailing various issues in regards to stormwater, landscaping and environmental health. In response, the applicant provided additional information and amended plans on 21 February 2024.
4. Council issued an additional request for information on 5 March 2024 requesting an acoustic report to be submitted. The applicant submitted this information on 19 March 2024.
5. The application seeks a variation to the car parking control under the Cumberland Development Control Plan 2021 (CDCP 2021). The variation was assessed on merit. Refer to the body of the report for further information.
6. The application is referred to the Panel as the subject site is located on Council land.
7. The application is recommended for approval subject to the conditions as recommended in the Council’s assessment report.
Report:
Subject Site and Surrounding Area
The subject site comprises of Girraween Park and is described as 10A Octavia Street, Toongabbie. The site includes three (3) lots legally described as Lot 39 in DP 667025, Lot 201B in DP 341103 and Lot 202B in DP 341103. However, the works that form part of this application are occurring only over Lot 39 in DP 667025.
The site has a total area of 3.196 hectares.
The subject site currently contains a single storey amenities building, kids playground, three (3) sports playing fields, and various trees throughout the site. Immediately adjoining the subject site to the east of Octavia Street are multi storey contemporary residential flat buildings (RFB) and single storey dwellings. Immediately to the south and west, along Toongabbie Road and Portia Road are low density residential development comprising of single and two storey dwellings.
The site is zoned RE1 Public Recreation and is situated on the northern side of Toongabbie Road with Octavia Street to the east of the site and Portia Road to the west of the site. The site is buffered by R4 High Density Residential land to the north-east and south and R2 Low Density Residential zoned land to the west of the site. The Blacktown LGA runs perpendicular to north of the subject site.
The site is identified as being subject to a flood planning level according to Council’s mapping being ‘Low Risk (PMF)’ to ‘Medium Risk’ flood liable land.
Figure 1 – Locality Plan of subject site

Figure 2 – Aerial view of subject site

Figure 3 – Existing amenities block to be demolished

Figure 4 – Existing sporting fields

Description of The Development
Council has received a development application for the demolition of the existing amenity block and construction of a new amenities building including a meeting room including new pathways and landscaping works and the removal of four trees in Girraween Park. A detailed breakdown of the proposal is as follows:
· Demolition of existing amenity block and associated structures.
· Demolition of shed.
· Construction of a community facility measuring 604.6m2, comprising of the following:
- Community meeting room facilitating a maximum of 50 patrons at any one time.
- Storeroom.
- Plant room.
- Kitchenette.
- Male, female and accessible public amenities.
- 4 x change rooms with showers and toilets.
- Football storeroom.
- Cricket storeroom.
- Administration room.
- 2 x referee rooms.
- Canteen.
- Canteen storeroom.
- Solar panels; and
- Relocation of light poles.
· Construction of a new access pathway; and
· Landscaping works.
· The proposed hour of operation is as follows:
- 8:00am to 8:00pm Monday to Friday; and
- 8:00am to 3:00pm Saturday and Sunday.
The proposed development that forms the development application represents the long term aim to upgrade the amenities building to improve the community and sporting group use. The proposed location of the new building is consistent with the ‘Long Term Landscape Master Plan’ (page 43) of the Plan of Management for Girraween Park.
The Plan of Management is attached to the report for the consideration of the Panel.
The development application is consistent with the Plan of Management which envisaged the following works:
· Community meeting room space
· Community function facility
· Increases area for canteen / kiosk
· Increased storage space for sports equipment and grounds maintenance
History
· Development Application No. DA2003/607/1 was approved by former Holroyd Council on 10 February 2003 for an awning.
· Development Application No. DA2003/723/1 was approved by former Holroyd Council on 17 February 2003 for a storage facility.
· Development Application No. DA2008/512/1 was approved by former Holroyd Council on 15 April 2009 for the replacement & new floodlighting facilities at Girraween Park.
Applicants Supporting Statement
The applicant has provided a Statement of Environmental Effects prepared by Denis Smith, Principal Tomasy Pty Ltd dated 11 October 2023 and was received by Council on 14 November 2023 in support of the application.
Contact With Relevant Parties
The assessing officer has undertaken a site inspection of the subject site and surrounding properties and has been in regular contact with the applicant throughout the assessment process.
Internal Referrals
Development Engineering
The development application was referred to Council’s Development Engineer for comment who has advised that the development proposal is satisfactory and therefore can be supported subject to recommended conditions of consent.
Environment and Health
The development application was referred to Council’s Environment and Health Officer for comment who has advised that the development proposal is satisfactory and therefore can be supported subject to recommended conditions of consent.
Tree Management
The development application was referred to Council’s Tree Management Officer for comment who has advised that the development proposal is satisfactory and therefore can be supported subject to recommended conditions of consent.
Waste Management
The development application was referred to Council’s Waste Management Officer for comment who has advised that the development proposal is satisfactory and therefore can be supported subject to recommended conditions of consent.
Parks/Open Space
The development application was referred to Council’s Parks Officer for comment who has advised that the development proposal is satisfactory and therefore can be supported.
External Referrals
The development application was referred to NSW Police for assessment against crime prevention guidelines who has advised that the proposal can be supported subject to recommended conditions of consent.
Planning Comments
The provisions of any Environmental Planning Instruments (EP&A Act s4.15 (1)(a)(i))
State Environmental Planning Policies
The proposed development is affected by the following State Environmental Planning Policies:
|
State Environmental Planning Policies (SEPPs) |
Relevant Clause(s) |
Compliance with Requirements |
|
· State Environmental Planning Policy (Biodiversity and Conservation) 2021.
|
Chapter 2 -Vegetation in non Rural Areas. |
The development application includes the removal of four (4) trees which has been assessed as acceptable by Council’s Tree Management Officer.
The proposal does not exceed the biodiversity offsets scheme threshold. Therefore, the proposed vegetation removal is considered acceptable. |
|
Chapter 6 - Water Catchments.
Sydney Harbour Catchment. |
A detailed assessment is not required given that there is no direct impact upon the catchment and no direct impact upon watercourses. As such, the development is acceptable under the new provisions that came into effect on Monday 21 November 2022. |
|
|
· State Environmental Planning Policy (Resilience and Hazards) 2021. |
Chapter 2 - Coastal Management. |
The subject site is not identified as a coastal wetland or ‘land identified as “proximity area for coastal wetlands” or coastal management area. |
|
Chapter 4 - Remediation of Land.
Part 4.6. |
2. A preliminary site investigation has been conducted for the site with a report prepared by 4Plillars Environmental Consulting Reference Number 20220620FOR_PSI_2 and dated January 2023 provided recommendations. The report states that there is low risk for contamination, and all recommendations in the report will need to be carried out to ensure the site is suitable for the development.
A Hazardous Materials Building Register Details was also provided.
The hazardous material building registers details only list what is in the building, not how to deal with the material, however a condition has been imposed regarding the requirement of a hazmat report.
On the grounds that Council’s Environmental Health Officer has raised no objection to the development in terms of land contamination, subject to conditions, it is concluded that the development application is satisfactory under Part 4.6 of Chapter 4 of the State Policy. |
|
|
· State Environmental Planning Policy (Transport and Infrastructure) 2021. |
Chapter 2 - Infrastructure.
|
The subject site does not adjoin to any railway corridor or infrastructure which triggers assessment of the SEPP.
The site has a street frontage to Octavia Street which is not a classified road. |
Local Environmental Plans
Cumberland Local Environmental Plan 2021
The provision of the Cumberland Local Environmental Plan 2021 (CLEP 2021) is applicable to the development proposal. It is noted that the development achieves compliance with the key statutory requirements of the Cumberland Local Environmental Plan 2021 and the objectives of the RE1 Public Recreation zone.
(a) Permissibility:
The proposed development is defined as a ‘community facility’ and is permissible in the RE1 Public Recreation zone with consent.
community facility means a building or place—
(a) owned or controlled by a public authority or non-profit community organisation, and
(b) used for the physical, social, cultural or intellectual development or welfare of the community, but does not include an educational establishment, hospital, retail premises, place of public worship or residential accommodation.
The relevant matters to be considered under the CLEP 2021 and the applicable clauses for the proposed development are summarised below. A comprehensive LEP assessment is contained in Appendix A.
The provisions of any proposed instrument that is or has been the subject (EP&A Act s4.15 (1)(a)(ii))
No proposed planning instruments applicable.
The provisions of any Development Control Plans (EP&A Act s4.15 (1)(a)(iii))
The Cumberland Development Control Plan 2021 is relevant to the development proposal.
The development has been assessed using the following chapters:
· Part E2 – Community Facilities
· Part G – Miscellaneous Development Controls
The development is found to comply with the relevant provisions except for the following:
Car Parking – 4.7 Other Land Uses
There are no car parking provisions for community facilities under the Cumberland Development Control Plan 2021 (CDCP 2021). Under Section 4.7, Part G3 of the Cumberland Development Control Plan 2021 (CDCP 2021), a traffic and transport impact statement is required for community facilities to determine car parking rates. Whilst this information has not been provided by the applicant, adequate justification was provided by the application for Council's consideration of variation to the car parking control on merit.
The applicant has contended the following response:
Girraween Park currently offers forty-nine (49) off-street parking spaces through two car parking lots: Twenty-nine (29) in the car park accessed from Toongabbie Road and twenty (20) parking spaces at the car park accessed from Octavia Street. These parking spaces currently service the existing amenities building and the use of the three sports fields at Girraween Park.
Bookings for the community meeting room will not be available to the public during sporting times to prevent additional traffic or parking demands. However, when the sporting fields are not in use, the meeting room will be available for hire, and the existing off street-parking will satisfy its maximum occupancy of 50 people.
The capacity restrictions and controls outlined in the operational plan of management, specify the types of activities the meeting room can be used for, and special events such as carnivals, celebrations, and festivals are not permitted. Based on these controls, we don’t believe that a traffic impact assessment is necessary.
The proposal, including the justification provided, has been reviewed by Council’s Development Engineer. No issues were raised in regards to parking and traffic. The Operational Plan of Management will ensure the facility is managed adequately to minimise negative amenity impacts on the surrounding residential properties.
The proposed community facility is to replace the existing dilapidated amenities building in order to provide opportunities for recreational activities. Having regard to this, the existing car parking for Girraween Park is considered satisfactory to service the proposal.
The provisions of any planning agreement that has been entered into under section 7.4, or any draft planning agreement that a developer has offered to enter into under section 7.4 (EP&A Act s4.15(1)(a)(iiia))
There is no draft planning agreement associated with the subject Development Application.
The provisions of the Regulations (EP&A Act s4.15 (1)(a)(iv))
The proposed development raises no concerns as to the relevant matters arising from the Environmental Planning and Assessment Regulation 2021 (EP&A Reg).
The Likely Environmental, Social or Economic Impacts (EP&A Act s4.15 (1)(b))
It is considered that the proposed development will have no significant adverse environmental, social or economic impacts in the locality.
The suitability of the site for the development (EP&A Act s4.15 (1)(c))
The subject site and locality is not known to be affected by any natural hazards or other site constraints likely to have a significant adverse impact on the proposed development. Accordingly, it is considered that the development is suitable in the context of the site and surrounding locality.
It is considered that the development is suitable in the context of the site and surrounding locality and is generally consistent with the Girraween Park Plan of Management dated February 2015.
Submissions made in accordance with the Act or Regulation (EP&A Act s4.15 (1)(d))
|
Advertised (Website) |
|
Sign |
Not Required |
In accordance with Council’s Notification requirements contained within the Cumberland DCP 2021, the proposal was publicly notified for a period of 28 days between 21 November 2023 and 19 December 2023. The notification generated 14 submissions (including 2 petitions, one with 32 signatures and the other with 375 signatures) in respect of the proposal. However, only thirteen (13) of these submissions were considered unique submissions. The issues raised in the public submissions are summarised and commented on as follows:
Figure 5 – Submissions summary table
|
Issue |
Planner’s Comment |
|
Inadequate exhibit documents |
The Aboricultural Impact Assessment was not initially included as part of the exhibition documents. The document was subsequently made available and uploaded on 30 November 2023. It is noted that the notification period ended 19th December 2023. |
|
Tree report fails to recommend protection of trees |
The proposal includes the removal of four (4) trees within the site. Council’s Tree Management Officer has inspected the trees on the site on 9 October 2023 and imposed adequate conditions within the development consent for tree protection and tree replacement planting. No issues were raised in regard to the removal of the trees. |
|
Inadequate information within Statement of Environmental Effects (SEE) including: - Trees considered threatened species under the Biodiversity Conservation Act 2016; - State Environmental Planning Policy No 19—Bushland in Urban Areas (1986 EPI 14); and - Prospect Hill Interpretation Plan. |
As mentioned above, the trees proposed to be removed were inspected by Council’s Tree Management Officer on 9 October 2023 and was not considered to have any heritage significance or considered as threated species. No objections were raised regarding the removal of the trees, subject to compliance with the conditions. As such, the Cumberland Council Heritage Schedule should be addressed separately.
Additionally, the Biodiversity Conservation Act 2016 and State Environmental Planning Policy No 19—Bushland in Urban Areas (1986 EPI 14) are not applicable to the proposed tree removal.
The Prospect Hill Interpretation Plan refers to a separate matter and not relevant to the subject proposal. |
|
Trees with heritage value |
Council’s mapping system and Local Environmental Plan 2021 has not identified any trees on the subject site with heritage significance. The tree removal and Arboricultural Impact Assessment was reviewed by Council’s Tree Management Officer and considered satisfactory. |
|
Impacts of tree removal on the environment |
A total of four (4) trees are required to be removed as part of the application as the trees conflict the building footprint.
The trees to be removed are not considered to be of heritage significance. Council’s Tree Management Officer has reviewed the application and raised no issues to the removal of these trees. Suitable conditions are imposed within the development consent for tree planting to replace the trees to be removed.
It is also noted the trees to be removed are not considered threatened species and are not subject to a tree protection order. The Arboricultural Impact Assessment and Council’s Tree Management Officer have no objections regarding the removal of the trees, subject to compliance with the conditions for tree replacement imposed under the Development Consent. |
The public interest (EP&A Act s4.15(1)(e))
In view of the foregoing analysis, it is considered that the development, if carried out subject to the conditions set out in the recommendation below, will have no significant adverse impacts on the public interest.
CUMBERLAND LOCAL INFRASTRUCTURE CONTRIBUTIONS PLAN 2020
The development would not require the payment of contributions in accordance with Cumberland Local Infrastructure Contributions Plan 2020.
HOUSING AND PRODUCTIVITY CONTRIBUTION (HPC)
In accordance with s7.24, s7.26 and s7.28 of the Environmental Planning and Assessment Act, 1979 the proposed development is subject to the (Housing and Productivity Contribution) Act 2023, the development is subject to the Housing and Productivity Contribution.
In accordance with Schedule 2 of the Order, the proposed development is exempt from the HPC, as under Part 2, Division 1, Clause 5(1) of the Environmental Planning and Assessment (Housing and Productivity Contribution) Order 2023 states:
5 Development for which a contribution is required
(1) A housing and productivity contribution is required for development for which development consent is granted if it involves development of any of the following:
Classes -
(a) residential development,
(b) commercial development,
(c) industrial development.
The proposal is for a community facility and is not included as a type of development for which HPC is required under the Order and therefore, HPC is not applicable.
DISCLOSURE OF POLITICAL DONATIONS AND GIFTS
The applicant and notification process did not result in any disclosure of Political Donations and Gifts.
Conclusion:
The proposed development is appropriately located within the RE1 Public Recreation zone under the relevant provisions of the Cumberland LEP 2021. The proposal is consistent with all statutory and non-statutory controls applying to the development. Minor non-compliances with Council’s controls have been discussed in the body of this report. The development is considered to perform adequately in terms of its relationship to its surrounding built and natural environment, particularly having regard to impacts on adjoining properties.
For these reasons, it is considered that the proposal is satisfactory having regard to the matters of consideration under Section 4.15 of the Environmental Planning and Assessment Act 1979, and the development may be approved subject to conditions.
Consultation:
There are no consultation processes for Council associated with this report.
Financial Implications:
There are no financial implications for Council associated with this report.
Policy Implications:
There are no policy implications for Council associated with this report.
Communication / Publications:
The final outcome of this matter will be notified. The objectors will also be notified in writing of the outcome.
Report Recommendation:
1. That Development Application No. DA2023/0651 for the demolition of existing amenity block, construction of a new amenities building including a meeting room, construction of new pathways and landscaping works in Girraween Park on land at 10A Octavia Street TOONGABBIE NSW 2146 be approved subject to conditions listed in the attached schedule.
2. Persons whom have lodged a submission in respect to the application be notified of the determination of the application.
Attachments
1. Draft Notice of Determination
3. Stormwater/Engineering Plans
6. Plan of Management - Girraween Park
7. Appendix A - Cumberland LEP Assessment
DOCUMENTS
ASSOCIATED WITH
REPORT LPP016/24
Attachment 1
Draft Notice of Determination
DOCUMENTS
ASSOCIATED WITH
REPORT LPP016/24
Attachment 5
Submissions Received